CAMDEN, NEW JERSEY
Separator made of stars

THE HOLLINGSHEAD FIRE
July 30, 1940

Separator made of stars

Click on Image for Enlarged View
Click HERE for Supersized View
Photo by Larry Keighley

Separator made of stars

NEW - Added February 21, 2006
October 1940 article from the National Fire Protection Association Quarterly
CAMDEN, NEW JERSEY CONFLAGRATION
with many new pictures!

Separator made of stars

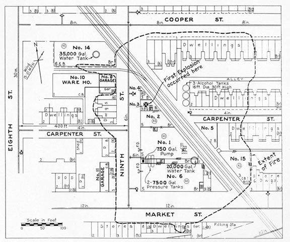
On Tuesday, July 30, 1940, a fire broke out at the R.M. Hollingshead plant, an industrial complex of large factory buildings between 9th and 10th Streets on the north side of Market Street in center city. The plant manufactured a variety of highly inflammable products including floor wax, furniture polish, and cigarette lighter fluid. The City had been suffering through a two-week heat wave, with temperatures soaring over the 100 degree mark. Box 61 at 9th and Penn Streets was transmitted at 1:15 P.M. following an explosion in the northeast comer of a five story factory building. Just two minutes later, Box 184 at 11th and Cooper Streets was also pulled for the same incident. A raging fire ensued and the fourth alarm was received at 1:39 P.M. Camden Mayor George Brunner made an urgent call to Philadelphia Mayor Lamberton asking for help. Mayor Lamberton at once called his Public Safety Commissioner, James H. Malone, ordering Philadelphia to "Give Camden all the help she needs - now!" Malone relayed the order to Deputy Chief Engineer William Simmer and within two minutes, Philadelphia Fire Companies were rolling over the bridge. Thirteen minutes later they were pumping water on the fire. At that time, Philadelphia was using two-piece engine companies with hose wagons and pumpers. Units of the Philadelphia Fire Department that initially responded were Engine Companies 8, 17, 21, 27 and 33, with Trucks 9 and 23.

Tremendous radiant heat generated by the blaze, coupled with a water shortage caused by heavy demand during the heat wave, made effective firefighting especially difficult. Engine companies were forced to draft water from the Cooper River, one-half mile away from the fire. Worse, some 28 explosions rocked the plant as stores of gasoline, naptha, paint and grease were ignited. The fire spread to involve other factory buildings in the Hollingshead complex, and also extended to scores of surrounding dwellings and businesses.

The fire burned throughout the night and into the following day. The next morning explosive experts had to be called in to dynamite the ruins allowing firemen to get at the remaining fire and finally bring the inferno under control The fire again flared on Thursday and it was not until Sunday, five days after the initial blast, that the blaze was finally extinguished. Ten employees of the plant were killed in this fire as well as Fireman William Merrigan of Engine Company 3 who died of a heart attack induced by heat exhaustion. Over 400 persons were left homeless and damage exceeded $1 million dollars.

An interesting postscript to this fire was told in a story by the late Battalion Chief John Letts, who at the time of the fire was not yet a member of the Department. The late Chief, a former employee of RCA, was on his lunch hour walking with a co-worker near 9th and Market Streets when the blast occurred. The force of the blast sent the man out the window and backward across the street where he sailed through the plate glass window of a first floor barber shop, opposite the factory. The late Chief ran the distance to to the shop and found the victim laying on the floor bleeding heavily. The story goes that in the process of flying backward through the window, the razor sharp glass acted as a guillotine and amputated both of the man's ears. The startled barber had the presence of mind to grab a pair of dusty, fur lined earmuffs that had been hanging on a wall hook in the shop over several previous winters With the help of a customer, the barber placed the muffs over the victim's bloody head where his ears had been, and secured it tightly with a roll of masking tape. This action by the quick thinking barber effectively stemmed the flow of blood as the poor man was rushed to the hospital.

Further devastation had been avoided when some unidentified youths climbed aboard a train of steaming tank cars parked on a rail siding adjacent to the complex, and opened the hatches relieving pressure upon thousands of gallons of heated naptha. Grateful neighbors reported the heroic action of the teens to a nearby Policeman. When the officer called to the youths, they quickly fled the scene. Because the Policeman was unable to get their names the boys could not be recognized for their brave deed.

More than 50 years following this incident and while conducting  research Department Historian Mr. Lee T. Ryan discovered the information and realized that one of the boys in question was his own father. Indeed many years before, the historian had overheard his father reminiscing with Lee E. Ryan described that same incident in which he had participated. He said that he and his friends had heard onlookers expressing fears of further explosions which prompted him and his companions to react by opening the hatch covers. When called by the Policeman, they had run away fearing they were in trouble. Fire Fighter James Ryan of Engine Company 6 is the grandson of Mr. Lee E. Ryan, that brave youth from so long ago.

From FIRE DEPARTMENT CAMDEN NEW JERSEY 125th ANNIVERSARY 1869-1994
Thanks to Lee Ryan for making this book available

Separator made of stars

Looking North
at the Hollingshead plant at 10th and Market Streets

Photo taken before the fire shows the Hollingshead industrial complex amid congested residential construction.

Virtually everything in this picture no longer exists, some lost to fire, most lost to "urban renewal" and highway construction, with one exception, the office building at 9th & Cooper St.

Separator made of stars

The fire started on the fourth floor of the five and six story, block long factory building. An explosion in a mixing vat touched off a rapidly spreading fire that killed eleven people, injured scores of others, lefts hundreds homeless, and caused over $1,000,000 in property damage. Picture taken from an upper floor at Camden City Hall.

Separator made of stars

As flames roared within the building, the Camden Fire Department was hampered by lack of apparatus and intense heat. Water shortage is evident hear as a drooping stream fails to reach the building.

Photo of northeast corner of 9th & Market Street

Separator made of stars

Engine
Company 6,
repositions Hose Wagon as the fire takes off on the Ninth Street side of the factory complex.

Photo taken at intersection of 9th & Cooper Street

This appears to be the same photo.
A print taken from a negative In 2012 furnished by Bill Colucci

Separator made of stars

One of the 200 victims f the fire and explosion, which sprayed burning oil over surrounding buildings, is carried on a stretcher to a waiting ambulance.

Separator made of stars

Looking East on Carpenter Street-
A Scene repeated many times throughout the neighborhoods surrounding the fire, dwellings were dwarfed by the immense size of the burning factory complex. Hot and windy weather, low water pressure, flying embers, and severe radiant heat conditions joined forces to spread the fire in all directions among several city blocks.

It appears that the same photographer zoomed and take this within seconds of the previous photo. A print taken from a negative In 2012 furnished by Bill Colucci

 

Separator made of stars

These ornate stone mansions in the 900 Block of Cooper Street were doomed early on, Built in late 1800s, they were reduced to rubble. 

Separator made of stars

 

The wall on 9th Street collapses, as seen from the corner of 9th & Cooper Streets.

Left: Another view of of the 9th Street wall, as seen from the corner of 9th & Cooper St.
Right: The heat soon crumbled the side wall on Market Street. As the walls progressively collapsed and spewed masonry into the streets, fireman had to abandon there posts and race for safety

This is the original, larger version of picture at above right. Note newspaper photographer in foreground

This photo was seconds seconds after the one above. The wall is collapsing, and in this shot the photographer had aimed slightly to his right to capture the image of the collapse. The newspaper photographer in the foreground of the picture above is still visible, in the lower left-hand corner.

Another wall of the factory crumbles from the intense heat and the millions of gallons of water poured into the interior. Other walls are left in a dangerous state.

The "lights" are on in every window from basement to the roof as the fire consumes the factory. Note the almost total absence of smoke as the fire fully reaches the free burning phase. The Pump Operator in the foreground is observing the destruction. 

Click on Images to Enlarge

Above: MacDougall's Tavern aka Mac's Bar at the far left remains in harms way as fire extends onward

Below: Subsequent damage to tavern following additional collapse of factory walls striking the front of the tavern. Firefighters seen freeing charged hose line beneath rubble.

Fire generates its own wind as everything in its path is consumed including parked cars, trees, power lines and telephone poles. At far right, not buildings and parked vehicles opposite fire beginning to steam from exposure to severe radiant heat.

Click on Images to Enlarge

Separator made of stars

Another photo taken from an upper floor at Camden City Hall, after walls had collapsed on Market Street.
Click on Image to Enlarge

Within two hours after the first of 21 explosions, only the charred, smoldering skeleton of the paint factory remains. For long hours afterward firemen had to battle surrounding blazes.

Separator made of stars

One of the 200 victims f the fire and explosion, which sprayed burning oil over surrounding buildings, is carried on a stretcher to a waiting ambulance.

Separator made of stars

1000 & 1002 Cooper Street
These and other homes were destroyed by fire
Photo courtesy of Warren Fairess
from the collection of his mother, Marie Fisbeck Fairess
Click on Image to enlarge

Crowds gather on Main Street at 10th and Cooper to watch the fire
Photo courtesy of Warren Fairess
from the collection of his mother, Marie Fisbeck Fairess
Click on Image to enlarge

The fire department could not save this home, the entire south side of block was destroyed.


Photo courtesy of Warren Fairess
from the collection of his mother,
Marie Fisbeck Fairess

Click on Image to Enlarge


View from 9th and Carpenter Street

Photo courtesy of Warren Fairess
from the collection of his mother,
Marie Fisbeck Fairess

Click on Image to Enlarge


View from the southwest corner, 9th and Market Streets
Photo courtesy of Warren Fairess
from the collection of his mother, Marie Fisbeck Fairess
Click on Image to Enlarge

Looking northwest from William Dickinson's
garage
at
1027-1029 Market Streeet


Photo courtesy
of
Warren Fairess
from the collection of his mother, Marie Fisbeck Fairess

Click on Image to Enlarge


Looking northwest from
William Dickinson's
garage
at
1027-1029 Market Streeet


Photo courtesy
of
Warren Fairess
from the collection of his mother, Marie Fisbeck Fairess

Click on Image to Enlarge

Separator made of stars

Looking northwest on Market Street from Main Street railroad tracks
Click on Image to Enlarge

Separator made of stars

Looking northwest on Market Street 1000 block of Federal Street
Similar perspective of above photo, taken later, after the building had collapsed
Click on Image for higher resolution file

Separator made of stars

Aerial view of 900 and 1000 blocks of Market Street
Click on Image to Enlarge

Separator made of stars

The fire as seen from North 9th Street & Cooper Street

Separator made of stars

The fire as seen from North 7th Street & Cooper Street

Separator made of stars

The Morning After

The morning after shows the extent of devastation near the point of origin. The total number of units operating at this incident including Camden County as well as City of Philadelphia approached the equivalent of twenty alarms. Many of the ruins were so unstable that dynamite was used to raze the damaged properties.

Outside storage tanks containing flammable product at the perimeter of the fire ere saved through concerted efforts of Fire Fighters with master streams. The building at the far left was the Hollingshead administrative office, and the only structure in the complex to survive the fire. Broken windows on many floors give evidence to the force of the initial explosion that started the fire. The building still stands today, ands is known as 800 Hudson Square.

Same photo as above. Image scanned from a new print made from a negative In 2012 furnished by Bill Colucci


Rescue workers in asbestos suits search for the missing while demolition of what was left of the factory still standing takes place.

Click on Image to Enlarge


Photo of
rear of 837 & 839 Market Street
shows extensive damage to 839.

Click on Image to Enlarge


New York PM - July 31, 1940

2 Dead, 10 Missing, 200 in Hospital,
50 Buildings Flat, After Camden Fire

By WILLIAM TOUMEY

Two men are dead, 10 factory workers, including four girls, are missing and more than 200 persons are in hospitals this morning as the result of the fire at Camden, N. J. Heat melted the rubber boots of firemen and prevented them from searching for more victims in the smoldering ruins of the R. M. Hollingshead Co. paint factory.

One of the dead was Raymond Harter, 38, Collingswood, an employee of the company. The other was William Merrigan, 49, a Camden fireman who collapsed from the heat, died of heart disease.

The $2,000,000 fire and explosion de-stroyed the five-story factory and showered burning oil on nearby buildings. Fifty structures were destroyed.

The Red Cross is seeking shelter for the 1000 forced to quit their homes as the flames spread over a five-block area.

As additional New Jersey National Guardsmen were called to Camden during the night to aid in the search and prevent looting, police said it was impossible to believe that the 10 known missing survived. They were trapped in the factory as the explosion roared.

Even more victims may be found when the ruins cool enough to permit a search. All night and this morning, police and company officials were telephoning the homes of the factory employees to check on those who fled safely after the first explosion at 1 p.m.

At least 150 employees were working in the factory. Others may have returned from their lunch hour without knowledge of the foremen.

Police believe the first explosion may have been caused by heat exploding a can of naphtha. The Hollingshead Co. recently received a large order from the War Department, but work on it had not been started and the possibility of sabotage was ridiculed.

The state of emergency decreed in the fire area yesterday by Mayor George E. Brunner continued this morning. Police and Guards-men patrolled the streets.

Late last night police had to rescue a volunteer fireman from an incensed crowd. They had seen him emerge from a ruined dwelling with his arms full of jewelry and clothing

Separator made of stars

I remember the day fairly well. I was sitting at our dining room table doing a jigsaw puzzle when I heard the first explosion. It wasn't until much later that I got to the fire scene and even now remember the heat and the total chaos. All quite frightening to a 13 year old.

But to the point. You mention three lads who were instrumental in preventing further explosions by opening up the hatches on  naptha tanker parked alongside the building. Here is what I learned, possibly that night or the following day, as to the identity of the three guys.

They  were Lee E. Ryan, his brother Robert R. Ryan and Frank Kennedy, all of East State Street. They were all young. Lee could not have been more than fifteen and Robert and Frank a few years older at the time.

Lee E. Ryan and I grew up best friends from the mid 1930's until his passing not too long ago. Knowing Lee I was not in the least surprised by his actions in this  event.

Lee Thomas Ryan ,from whom you got this story  is my God-son and my son is Thomas Lee Agin, thats how close we were.

In 1949 I ended up working at the R.M. Hollingshead Corp plant at 16th and the Boulevard, the old Keystone Leather Works. I was there until  1959.  While there I heard many stories from the old timers about how the wooden floors at the old plant were saturated with oils and waxes. and went up like torches. Even at this location we had thousands of gallons of flammable solvents outside but very close to the building. Not only naptha, but petroleum, ether, acetone, and others even worse.

 The Hollingshead Corp is now gone and most of the people once employed there.

Tom Agin
August 8, 2004

Separator made of stars

Another memory… not a pleasant one, is of the strike at RCA. Men in their undershirts came up North 2nd St. from as far north as York Street, brandishing all sorts of "weapons"…sticks, baseball bats, etcetera… marching by our house on their way to RCA which was one block from our house. We were at Penn and RCA started at 2nd and Cooper in those days. The library in Johnson Park (in between our house and RCA) was just full of them. I only remember the first wave. I suppose my Dad loaded us into the car and drove us out to our place in the country… as he did when Hollingshead blew up.

I was in the dentist's office on Cooper Street (Dr. John S. Owens, 407 Cooper Street -PMC) when we heard the first boom. Dr. Owens said "There goes another explosion at Dupont's"… Yes, in those days we could hear explosions all the way up from Delaware… can you believe that?

I left the office to see the smoke billowing up at 10th and Cooper to see that oil(?) drums were shooting up into the air from the yard outside the building. It got so hot (we did not have air-conditioning) that we, again, were loaded into the car and driven out to the farm.

Catherine Casselman Grenhart
Camden High School Class of 1942
July, 2009

Separator made of stars

A Different View of the Color Photo Above

Click on Image for Enlarged View
Click HERE for Supersized View

Separator made of stars

 
William Scholl - Ruth Hamilton - Cooper Hospital - Engine Company 3

Separator made of stars

 

Camden Courier-Post

July 31, 1940

Audubon Police Sergeant Augustus F. "Dewey" Parker being treated for heat prostration while aiding victims and fire fighters at the Hollingshead factory fire, July 30, 1940

Separator made of stars

 

Greensboro Record
Greensboro, North Carolina

August 1, 1940

Separator made of stars

Trenton Times - August 2, 1940
…continued…
John Lennox - Joseph R. Mich - John Plaskett - R.M. Hollingshead Co. Fire - Mathis Shipyard
u.s.s. curtiss - New York Shipbuilding Corporation - Camden Shipyards

Click on Images to Enlarge


Baton Rouge Advocate - August 2, 1940

Separator made of stars

Jewels and $341 Hard Cash Escape Fire

 

Camden
Courier-Post

August 3, 1940

Vernon Jones
George Weber
John "Pete" Brecker
Paul Ziest
Kathryn Simon
Cooper Street
Hollingshead Fire
Camden Trust

Separator made of stars

Camden Courier-Post * July 24, 1941

Cooper Street - market street - North 9th Street - Carpenter Street
Mary W. Kobus - Albert S. Woodruff
Mrs. Sue K. Devenny - Joseph R. Hendricks - Mrs. Mary F. Hendricks
R.M. Hollingshead Corporation Fire


Camden Courier-Post * July 26, 1941

Camden Courier-Post
July 30, 1941

Camden Courier-Post
July 31, 1941

Camden Courier-Post
July 31, 1941

Camden Courier-Post
July 31, 1941

Camden Courier-Post
July 31, 1941

Camden Courier-Post
July 31, 1941

Camden Courier-Post
July 31, 1941

Camden Courier-Post
July 31, 1941

Camden Courier-Post
July 31, 1941

Separator made of stars

HOLLINGSHEAD FIRE - MORE PHOTOS

HOLLINGSHEAD FIRE - N.F.P.A. REPORT

RETURN TO DVRBS.COM HOME PAGE