Pre-text
Awareness
This account was been prepared from information contained in reports on this fire by the National Board of Fire Underwriters (member N.F.P.A.) ; Eastern Underwriters Inspection Bureau (member N.F.P.A.) ; Associated Factory Mutual Fire Insurance Companies (Member N.F.P.A.); Camden Fire Insurance Association (member N.F.P.A.); and other sources. Published in National Fire Protection Association Quarterly, October 1940.
Camden, New Jersey, Conflagration
R. M. Hollingshead Company
A fire following a series of explosions in the R. M. Hollingshead Corporation plant at Camden, N. J., on July 30, 1940, quickly assumed conflagration proportions due to ignition of large quantities of flammable liquids used in the manufacture of such items as auto grease, oil, anti-freeze, metal polish, wax, auto-top dressing, tire coating, brake fluid, paint remover, soap, antiseptics, and insecticides. Ten persons lost their lives as a result of the explosions and resulting fire and more than one hundred others are reported to have received treatment for injuries. In addition to destroying a block of factory buildings, the blaze spread to near-by rows of dwellings, leaving sixty families homeless. The total loss was estimated at close to $2,000,000.
Outstanding lessons of the fire are the importance of locating processes involving flammable liquids in properly protected and detached fire-resistive buildings, the importance of proper zoning to segregate manufacturing and residential areas, and the fact that no public fire department can be expected to overcome the inherent hazards found in such large conflagration breeding occupancies once private protection fails or is inadequate.
Weather Conditions
The weather at the time of the fire was almost ideal for a conflagration.
The temperature reached a peak of 94 degrees during the fire and averaged 85 degrees for the entire day. A fifteen to twenty-one mile per hour southwest wind was blowing.
It is interesting to note that a wind-squall of almost "hurricane force" occurred between 6: 30 and 7 P.M., just an hour after the fire was declared to be under control. It is said that this wind threatened to spread the fire further and it is considered fortunate that it did not occur earlier.
Construction and Arrangement
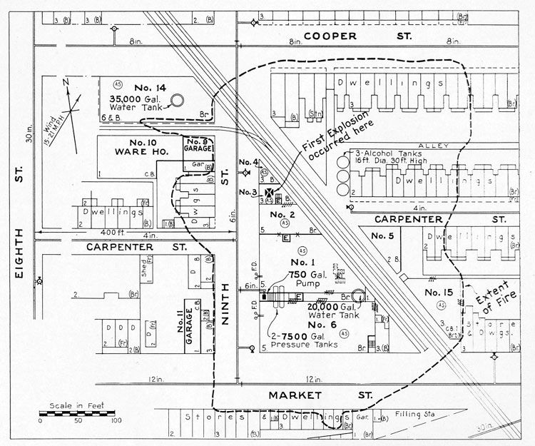
The main compact group of plant buildings occupied a triangular block 255 feet along North 9th Street and 158 feet along Market Street, Camden. It backed up to a railroad right of way for 240 feet. These buildings were mainly of five-story and basement brick, plank and timber construction, and were numbered 1, 2, 3,4, and 6. These buildings were fully occupied for the manufacture of a wide variety of materials, involving the use of flammable oils and solvents in various portions of the buildings. There were apparently many mixing and storage tanks located throughout this main group of plant buildings and the explosion hazard was recognized to be severe.

The concern was organized about 1900 to manufacture harness dressing.
The original plant was a five-story building of heavy timber construction shown on the plan as Building 1. An extension of the number of products included a metal polish and numerous other polishes using benzine and other solvents of low flash point. About 1915, two three-story buildings also of heavy timber construction were built to house all processes involving the use of highly flammable liquids. These Buildings, shown as 3 and 4 on the plan, were the buildings in which the initial blast occurred. At later dates Buildings 2 and 6 were constructed, combining the group essentially into one large building, subdivided by fire walls with single or double non-standard automatic fire doors on communicating openings between Nos. 3 and 4, between Nos. 2 and 3 and- between Nos. 1 and 6.
Windows facing the blind court between Buildings 1 and 6 were of plain glass in wooden frames in Building 1, and wired glass in metal frames in Building 6. The windows in the upper floors of Building 2 overlooking Building 3 were also of wired glass in metal frames. There were unprotected openings between Buildings 1 and 2.
Across the railroad tracks at the rear of the main group was Building 5, a two-story brick building, and Building 15, a three-story brick building. Eighty feet distant across North 9th Street on the opposite side of the main group of plant buildings was Building 14, an eight-story and basement building of fire-resistive construction protected by automatic sprinklers. This building was occupied in the basement and first floor by a wholesale liquor dealer and on the fourth floor by a corset manufacturer, but elsewhere by the R. M. Hollingshead Corporation for office, printing and storage purposes. Also across North 9th Street was a small one-story garage designated as Building 9.
With the exception of the two small buildings Nos. 5 and 9, all plant buildings in the fire area were fully sprinklered with wet pipe systems having three water supplies, including pressure tanks, gravity tanks, and city water supplemented by a 750-gallon electrically driven centrifugal booster pump. In addition, each building of the main group except Building 4 had a vertical standpipe with hose connected at each floor, and chemical fire extinguishers and water pails, well distributed.

Processes
Processes in Buildings 1, 2 and 6 included the manufacture of soaps, greases, insecticides and the filling of containers with these products, as well as the blending and canning of lubricating oils. All liquids used in the processes in these buildings were in a class with kerosene, or had higher flash points. In Buildings 3 and 4 processes involved the use of such low flash point solvents as naphtha, alcohol and gasoline. Products included polishing wax, rubber cement, gasket cement, cigarette lighter fluid, and auto top dressing; processes also included the filling of containers with these materials.
Flammable liquids were stored fin underground tanks located near the intersection of Ninth and Cooper Streets, and along the east side of Ninth Street, whence they were piped to the basements of Buildings 3 and 4. Distribution from there was carried on through steam driven pumps; with storage tanks more than half full, these pumps would be under a gravity head. In addition to these materials, which were used in bulk, smaller quantities of miscellaneous solvents in drums were stored on the fourth floor of Building 2.
In Buildings 3 and 4 were large, vertical mixing tanks of up to about 500 gallons capacity, extending from the third down through the second floor, and terminating on the first floor in gravity-fed fill pipes used for filling containers with the finished product. Ingredients were put into the mixers at the third floor level. Covers were provided for tanks, each being held open by a fusible link, and the tanks were grounded. Solvents were piped to tanks from pumps in the basement. Mixing vanes in the tanks were operated by belts from a shaft extending through walls from Building 2, where an induction type electric motor driving the shaft was located. Tanks used for such processes as the manufacture of wax polish were heated by steam jacket. The steam plant was located in the basement of Building 1.
A 36-inch fan was located in one of the windows on the third floor of Building 4; as far as can be ascertained, this was the only provision in either Buildings 3 or 4 for the removal of vapors. Several lighting fixtures in Building 4 were of the vapor-tight type, and an electric motor on the first floor of Building 3 was of explosion-proof type; all other electrical equipment in these two buildings was of non-explosion-proof type.
Events Preceding the Fire
During the morning of July 30, operations were carried on as usual at the plant; it is reported that the only process carried on in Building 4 was the filling of containers with polishing wax; no operations were carried on in Building 3. At the time of the fire most of the employees had 'returned from lunch, with four women employees returning to the first floor of Building 4 to carryon with the operation of filling containers with polishing wax. One male employee was also working on the first floor of Building 4. An employee went to the basement of Building 3, presumably to work in the rag-washing room. It is reported that the plant watchman was on the second floor of Building 3, at his locker near the elevator shaft, eating his lunch; that one other employee was in the same part of the building.
Story of the Fire
There are reports indicating that there was a breakdown in the machinery which sent molten wax by gravity from wax tanks on the third floor to the filling room where cans were automatically filled before women;employees placed lids on the cans. It is said that hot wax had backed up in a vat and that several employees had started up to the third floor to report the difficulty when the initial blast occurred .
The first explosion is reported to have occurred in the lower floors of Building 3 near the northern apex of the triangular group of plant buildings. The explosion was described as a deep rumbling sound and appears to have been of considerable violence. A number of windows in Buildings 3 and 4 were blown out and some reports state that portions of the brick walls were also blown out.
Portions of the first floor dropped into the basement and it is reported that employees from both the first floor and basement were trapped in the flaming debris. Several employees are said to have been blown from the plant by the explosion. In any event three men were found on the Ninth Street side of Building 2 with their clothing ablaze. Two others were found on the rail-road tracks near the freight door of Building 3 with their clothing also ablaze. A man working in Building 4 was also found on the tracks behind the building with his clothing aflame.

Persons who lost their lives as a result 6f the fire included four women employed in the basement wax department, five men employees including the watchman, and a city fireman who died of a heart attack while working in the ruins of the factory.
At the time of the first explosion between 1:05 and 1:10 P.M.} about 300 employees were in the building. About SO others had not returned from lunch due to staggered periods. A number of employees in the sections nearest to the initial explosion found themselves trapped by flames and were forced to jump from windows to escape. Others are reported to have struggled down crowded inside stairways or outside iron fire escapes. It is indicated that a man who tended the wax filling machine was on the third floor repairing the faulty wax feed when the explosion occurred and he escaped with his life.
The effect of the explosions appears to have been felt over a considerable area. Windows in a three-block area were broken, with the flying glass adding to the number of injured.
Spread of the Fire
The fire quickly involved large quantities of flammable liquids and spread throughout the main group of buildings. The wind carried the fire across the railroad tracks and radiated heat ignited buildings across Ninth Street. Dwellings along Cooper and Carpenter Streets were ignited and destroyed. It is said that explosions caused the roofs of some of these dwellings to be sprayed with burning flammable liquids, hastening their destruction.
A half hour after the fire started two tank cars on a siding beside the plant exploded. Another car filled with alcohol previously was pushed out of danger by workmen. Three large undyked alcohol storage tanks east of the railroad tracks were protected with hose streams and did not ignite. They were equipped with screened vents and at least one of them overflowed, prob-ably due to expansion of the contents.
Fire Fighting Operations
The first alarm was received at fire alarm headquarters at 1: 15 P.M., from a box at the corner of Ninth and Penn Streets, one block north of the nearest building involved in the fire. An aerial ladder and two engine companies, together with a deputy chief, responded. The chief also responded, since he desired to investigate the explosion.
Upon the arrival of the chief, Buildings 2 and 3 appeared to be totally involved, together with parts of Buildings 4 and 1. The fire was extending rapidly across the upper floors of Building 1. Pumpers were connected to hydrants and a hand line was taken in and up the stairway between Buildings 1 and 6. Before this line had been put into operation, a second explosion took place, occurring somewhere in the vicinity of Building 3. The fire then extended across the court and through the door and window openings into Building 6. The hand line was withdrawn and played into the lower floor windows along the west side of Building 6, in an attempt to check the fire at the north wall of this building. A ladder pipe was put in service in the same location with the similar intent. However, within ten minutes after the first alarm it became obvious that the plant could not be saved.

Fire alarm operators report that the first explosion occurred some five to eight minutes before the first alarm was received at 1: 15 P.M. The extent of the fire could be observed from fire alarm headquarters. Accordingly, when an alarm was received at 1: 17 P.M. from a box located at the corner of Eleventh and Cooper Streets, it was treated as a second alarm and two engine companies and an additional ladder company were sent to the fire. This box was sounded again at 1:19 P.M., and two more engine companies were dispatched. At the same time one of the principal pumping stations of the water department was notified by telephone.
The chief ordered a general alarm by telephone at 1: 28 P.M. and all companies in the city were dispatched to the fire. The total response comprised nine engine companies and three ladder companies, with a total of 18 pieces of apparatus. A call for help was sent to Philadelphia at 1:38. A ladder com-pany and two engine companies were sent under command of a battalion chief. These were followed a few minutes later by an additional engine company. A fourth engine company was sent at about 3 P.M. A large number of police-men and an ambulance also responded from Philadelphia.
The Camden fire department devoted its services to protecting exposures on the south, east and west. An attempt to prevent the fire from crossing the railroad tracks from the Market Street end was thwarted by the intense heat and flames as shown by accompanying photographs. Companies from Philadelphia were assigned to Cooper Street, fighting the fire as it spread throughout the dwellings along the southern side of this street.

At the height of the fire, it is estimated that twenty-eight hand lines, with 1-inch or 1-1/8-inch tips, were in use; in addition, a ladder pipe, with 1-1/2-inch tip, as well as three turret nozzles, each with 1-3/4-inch tips, mounted on hose wagons, were used.
Off-shift members of the fire department were not called, but a number of them responded to the fire grounds voluntarily upon learning of the fire.
Little information is available as to the action of the private fire protection. It is reported, however, that upon arrival the fire department found several hose lines connected to the header of the private fire pump, but no information was obtainable as to when or where these lines may have been used. The lack of information regarding these hose lines suggests the possibility that a fire had occurred previous to the first explosion. The possibility that either the first explosion ruptured the sprinkler piping or that sprinklers were shut off following the fire, is said to be under investigation.
In any event, the fire spread rapidly throughout the plant, punctuated by a series of explosions, including at least twenty-eight distinct blasts. By 2:30 P.M. the walls of the Hollingshead plant began to collapse. Much water was wasted from broken sprinkler piping and hydrants. By the time Building 15 across the railroad right-of-way became ignited the sprinklers in that building were apparently without water due. to the rupturing of sprinkler mains resulting from the collapse of the main plant buildings.




During the fire, Chief John Lennox of the Camden Fire Department was overcome by heat prostration and Deputy Chief Walter Mertz took charge. A number of other firemen were overcome or injured in addition to one who lost his life due to a heart attack.
It is said that several firemen were overcome when a seam let go in some gas tanks that they were trying to protect with hose streams. Others are said to have been overcome by fumes given off by the ruins of the factory after the fire was under control.
About 10: 30 P.M. firemen wearing asbestos suits and gas masks attempted to search the ruins for bodies of the victims, but were forced to give up due to the intensity of the fire.
In accordance with outside aid arrangements recently completed, companies were called by fire alarm headquarters, from Audubon, Collingswood, Merchantville and Haddon Heights. These went in service at fire stations previously assigned. Apparatus thus put in service consisted of four pumpers, a city service ladder truck, and a pumper-ladder truck. These companies remained in service until 11: 25 A.M., July 31, when the first company was released. The last company left early Monday morning, August 5. During the time that outside aid companies were in service in Camden, twenty-two alarms of fire were received at fire alarm headquarters. Operators and officers of these companies were familiar with the city and had been schooled in the operation of the Camden system of dispatching companies. In general, these departments have volunteer firemen with paid drivers.
Some seven or eight other neighboring towns, hearing of the extent of the fire, sent companies to the fire. These included the departments of Haddonfield, Mount Ephraim, Pennsauken, Gloucester, and Westville.
The first aid squad and ambulance of the Gloucester fire department were on duty throughout the night. Sixty members of the R.C.A.-Victor Corporation first aid squad also worked to relieve firemen suffering from the terrific heat.
The Philadelphia Navy Yard sent several truckloads of U. S. Navy flood-lights. These were useful to aid in patrolling the fire area after dark, as well as aiding the firemen.
While outside fire companies were being welcomed, radio stations were asking sightseers to kee p away from the city. To enforce this request the Federal Street bridge over the Cooper river was raised to stop the flow of cars into town.

It is reported that several homes were looted during the fire. The American Legion called out three hundred men to guard the furniture of fire refugees until the National Guard arrived.

Public Water Supply
The public water supply, which is direct pumping, stood up well during the fire. Extra pumps were started promptly and the pressure was raised about twenty pounds above normal. After a few hours this extra pressure was found to be unnecessary and it was discontinued. It is estimated that about five mil-lion gallons of water was used on the fire, but because the Campbell Soup Company, which uses an average of ten million gallons daily during the summer season, voluntarily shut down, the total consumption in the city on the day of the fire was less than on either the day previous or the day following. Large mains in the vicinity of the fire helped to maintain good pressure. As an additional precaution street sprinklers and public pools were shut off during the fire. During the height of the fire there were six extra waterworks pumps in use and an ample number were in reserve.
Fire companies responding from outside departments were directed to pump from the Cooper River about four blocks from the fire. One of the Philadelphia pumpers operating at this point nearly worked itself into the river and had to be towed to safety.
It is evident that adequate quantities of water at moderate pressure were available in the larger mains in the vicinity of the fire. Four-inch mains in several of the streets in the neighborhood may have limited the supply to several pumpers, and at least one was forced to relocate at a larger main. As most of the operation was from hydrants on the larger mains there was no shortage of water which would handicap the fire department.

Origin of the Fire
The cause of the initial explosion and subsequent fire is attributed to the ignition of flammable vapors. Lack of complete explosion-proof electrical equipment introduced numerous sources of ignition. In addition an employee reported to have been repairing equipment in Building 3 may have struck aspark. That there was a large accumulation of flammable vapor appears indicated by the fact that men in Buildings 3 and 4 were found outside with their clothing on fire.
Whatever the source of ignition, there was ample opportunity for accumulations of flammable vapors. High atmospheric temperatures on the day of the fire, together with inadequate facilities for the removal of vapors from the buildings, provided an ideal condition for the formation of explosive mixtures in the basements and lower floors of the plant.
Zoning
Following the fire, the N.F.P.A. Committee on City Planning and Zoning made some inquiry as to whether Camden had a zoning ordinance at the time of the fire, and if so in what zone the factory was located. The Committee was informed by the City Clerk that the city had no zoning ordinance and that the dwellings that were destroyed or damaged were built both prior to and subsequent to the erection of the factory.
Record Protection
A large safe dragged from the ruins of the Hollingshead factory by firemen was opened the day after the fire. Two thousand formulas dating back twenty years had been destroyed, but duplicates kept in the main office building are available. These were transferred to safe deposit boxes for safe-keeping.
Extent and Loss
In addition to the complete destruction of the main group of plant buildings,the fire-resistive office Building 14 sustained general damage to windowsby the explosions and the basement was flooded. It is also reported thatgirders supporting the water tank at the roof of this building weredamaged. Plant Buildings 5 and 15 across the railroad tracks were alsodestroyed.
Thirty-two dwellings on Cooper, Carpenter, North Ninth, and Market Streets were destroyed and thirty-one others were damaged by the fire and explosions.
Nearly sixty automobiles parked on streets in the fire area were destroyed or badly damaged.
The total loss resulting from this conflagration has been estimated at about $2,000,000, with insurance losses of between $1,000,000 and $1,500,000, including substantial use and occupancy losses.