Streets of Camden, NJ

Second Street


SECOND STREET runs north and south, between Front and Third Streets, parallel to the Delaware River as far south as Mechanic Street. It originally ran virtually uninterrupted, but in the very early 1970s in several blocks on the east side of North 2nd Street below Mickle Street were taken, the buildings razed, and two public housing projects were built, the Royal Court townhomes and the Mickle Tower senior citizens apartment building.

Do you have a 2nd Street memory or picture? Comment at the bottom of the page!

 Phil Cohen


Head of North 2nd Street
1890

speakeasy" in a boathouse

Philadelphia Inquirer
July 28, 1890

Samuel Dodd
John W. Streeper
John Anderson
George W. Horner
Charles O. Pedrick
Samuel E. Lee
Officer Baker

William Parker
Maurice Hinchman
Charles Mead
Mabel Gray

1929-1932
North Camden Yacht Club

Camden Courier-Post
March 21, 1932

Cooper Point Green Jackets
Delaware River Yacht Racing Assn.


Poet's Row
   

Intersection of North 2nd Street & Milton Street
   

Intersection of North 2nd Street & Burns Street
   

Intersection of North 2nd Street & Byron Street
Byron Street
East
of
North 2nd Street

July 5, 2004

Click on Image to Enlarge


Intersection of North 2nd Street & Erie Street
Click on Images to Enlarge

1891 Loeb & Wolf Parlor Match Company
1890s United States Match Company
1897 F.W. Richter Match Works
1906 Atlantic Match Company

Philadelphia Inquirer
September 27, 1897

1906-1915
The Hamilton Ice Manufactiring Co.
Harry G. McDougall, Secretary & Treasurer

1906 Sanborn Map
1858-1971 john r. evans & company Leather factory - 1920s Newspaper map
   

900 Block of North 2nd Street
  940 North 2nd Street

1888-1889 George B. Anderson cigar store
1915-1920
James McAninley's Saloon
1947 Vacant
2003 Gone

940 North 2nd Street

1967 Little Bits Sandwich Shop

Camden Courier-Post
February 16, 1962

Customers Flee Shop After Blast

A sawed-off shotgun, fired at point-blank range through a plate glass window scattered several customers and employees at the Little Bitts sandwich shop, 940 North 2nd street, at 7:00 PM Thursday.

Patrolman Edward Ingram and William Lewis said the gunman, described as a Puerto Rican, fled on foot.

Proprietor Mrs. Lillie Ott, 45, and helper Edward Schwartz, 48, of 6367 Ditman Avenue, Philadelphia, escaped injury from flying glass and pellets as did a group of teenage customers, police said.

STOVE BLAST VICTIM IN CRITICAL CONDITION

Mrs. Dora Schilder, 55, burned Saturday when an oil stove exploded in her home, was reported "still in critical condition" last night at Cooper Hospital.

Mrs. Schilder, who lives at 938 North Second street, suffered burns of the entire body. A son, Henry, 26, was burned about the arms and hands when he tried to beat out the flames.

938 North 2nd Street

1938
Mrs. Dora Schilder & Family
Henry Schilder
Herman Schilder

Camden Courier-Post
February 14, 1938

938 North 2nd Street

1938
Mrs. Dora Schilder & Family
Henry Schilder
Albert Schilder - Herman Schilder

Camden Courier-Post
February 19, 1938

938 North 2nd Street

1938
Mrs. Dora Schilder & Family
Henry Schilder
Herman Schilder - Albert Schilder

Camden Courier-Post
February 21, 1938

Trinity Lutheran Church
Rev. Thulo Gore
Byron Street

938 North 2nd Street

1938
Mrs. Dora Schilder & Family
Henry Schilder
Herman Schilder - Albert Schilder

Camden Courier-Post
February 25, 1938

938 North 2nd Street

1936
Albert Schilder

Camden Courier-Post
October 28, 1936

  938 North 2nd Street
1947
  937 North 2nd Street
1947
 

936 North 2nd Street

1914
  935 North 2nd Street
1947
  934 North 2nd Street
1908-
933 North 2nd Street

1897-1927
Alfred Lang & Family
ship carpenter
Alfred & Sophia Lang
Edward Lang - Anna Lang
Ruth Lang - Marion Lang
Elsie M Lang - Caren D Lang

Camden Post-Telegram
October 16, 1916

  933 North 2nd Street

1947

932 North 2nd Street

1901-1927
Joseph Logue & Family
Joseph & Fannie Illingsworth Logue

 

932 North 2nd Street

1916
Joseph Logue

Engine Company 4

Philadelphia Inquirer
October 19, 1916

north 4th street
North 7th Street

Pearl Street

Vine Street

Cooper Hospital

  932 North 2nd Street

1947

931 North 2nd Street

1909 Charles Coates

Philadelphia Inquirer
February 17, 1909

  931 North 2nd Street
1940s
  930 North 2nd Street

1972

  929 North 2nd Street

1893-1897 George B. Anderson

Disapproves Sunday Beer in Camden

To the Editor:
                    Sir-I propose that all God's people join me in voicing a disapproval of an open beer Sunday in Camden. There are six days a week to carry on secular business and that is sufficient. Sunday is the first day of the week, it is the Lord's day and therefore does not belong to man. Our whole and glorious land was founded by godly men, upon faith in God That is why America is the greatest nation under heaven.

But when we disregard the Lord's day and count it as any other day, we are inviting disaster.

WALTER GAIS
928 North Second Street

928 North 2nd Street

1938 Walter Gais

Camden Couroer-Post
February 10, 1938

  927 North 2nd Street
1940s
  926 North 2nd Street

1887 Virgil Stackhouse

  925 North 2nd Street
1929 Vacant
  924 North 2nd Street

1924-1925 Max I. Koch

1929 Vacant
1947 Gone

924 North 2nd Street

January 20, 1925

John Reilly

Albert Raueber

  924 North 2nd Street

1929 Vacant
1947 Gone


Intersection of North 2nd Street & Erie Street
   

900 Block of North 2nd Street
  922 North 2nd Street
A&P Grocery Store
  921 North 2nd Street
1910s-1930s
 

919 North 2nd Street

1914
  917 North 2nd Street
1947
  915 North 2nd Street
1947
914 North 2nd Street

1893
John J. Murphy
saloon

Philadelphia Inquirer
April 25, 1893

  913 North 2nd Street

1929

  912 North 2nd Street
1940s
911 North 2nd Street

1910 Mary Jones

Philadelphia Inquirer
February 7, 1910

911 North 2nd Street

1905-1920
William H. McCormick
barber

Philadelphia Inquirer
June 28, 1915

Frank Frost
O. Glen Stackhouse
George R. Thompson

910 North 2nd Street

1902-1916
Thomas J. Neatherly & Family
Thomas & Martha Netherly
Christian James "Jim" Bradel (son)
Flossy Neatheny (daughter)
Roy Auxer (grandson)

Left: Jim Bradel, Sewell A.C. Team Photo

 

909 North 2nd Street

1892
William J. Lyons

 

909 North 2nd Street

1914

908 North 2nd Street

1914 James Bardsley

Philadelphia Record
August 25, 1914

Edward Barnett

  908 North 2nd Street

1918-1930s
George Humes & Famiy
George & Ivy C. Humes
George Humes Jr.
Avalon V. Humes
Ivy E. Humes
Marion G. Humes
Violet M. Humes

  907 North 2nd Street
 

907 North 2nd Street

1887-1890
William J. Lyons

  906 North 2nd Street

1947

  905 North 2nd Street

1933

904 North 2nd Street
1908 Lysander Burton

Philadelphia Inquirer
December 9, 1908

Mathis Shipyard

904 North 2nd Street
1940s
  903 North 2nd Street

1972

  902 North 2nd Street

1890s-1920s Joseph Wenzelle

902 North 2nd Street

1890s-1910s Dr. Walter S. Bray

 

902 North 2nd Street

1920s-1940s Clarence E. Moullette

 

902 North 2nd Street

1927-1940s John B. Moullette

 

  901 North 2nd Street

1972

  900 North 2nd Street

1890-1891 Dr. Walter S. Bray

  900 North 2nd Street

1931 James O'Donnell
1936-1943 William E. Morgan Morgan's Cafe
1947-1949 
Caesar Campana Sr. tavern
1956 Tony's Supper Club
1959 Happy Landing Bar
1964-1966 Tuggie & Squeal's Bar
2003 Gone
one


Intersection of North 2nd Street & York Street
Looking South
Along North 2nd Street

First Intersection
at Lower Left
is
North 2nd & York Street

Last Intersection
at
Upper Right
is North 2nd & Main STreet

circa 1930s


800 Block of North 2nd Street
835 North 2nd Street

1900s-1910 George D. Borton
druggist & notary public

CALVIN B. STAULCUP

The funeral of Calvin B. Staulcup, 63, formerly a storekeeper at Second and York streets, will be held at 2.30 p. m., Wednesday at 800 Haddon avenue, Collingswood. Burial will be in Harleigh Cemetery.

Mr. Staulcup had been ill a few years. He died at the home at 285 New Jersey avenue, Collingswood. He is survived by his widow. Julia M. Mason Staulcup, and a son, Carl B. Mr. Staulcup was a member of Ionic Lodge, No. 94, Free and Accepted Masons; Camden Lodge, No. 111, Loyal Order of Moose; Washington Camp, No. 107, Patriotic Order Sons of America; Hope Council, No. 3, Junior Order United American Mechanics; Ottawa Tribe, No. 15, Improved Order of Red Men, and Bricklayers' Union, No. 7, of New Jersey.


STAULCUP—On February 12, 1938, ot 285 New Jersey Ave.. Collingswood, N. J., Calvin B., beloved husband of Julia M. Staulcup (nee Mason) age 63 years, formerly of 2nd & York Sts., Camden, N. J.
Relatives and friends of the family, also Ionic Lodge No. 94, F. & A. M., Camden Lodge. No. Ill, L. O. O. M., Washington Camp No. 107, P. O. S. of A., Hope Council No, 3, Jr. O. U. A. M., Ottawa Tribe No. 15, I. O. R. M., and Brick Layers Union No. 7 of New Jersey are invited to
attend the funeral services Wednesday afternoon at 2.30 o'clock at Foster's Funeral Home, 800 Haddon Ave., Collingswood, N. J. Interment at Harleigh Cemetery. Friends may call Tuesday evening after 7 o'clock.

834 North 2nd Street

1926
Calvin Staulcup
grocery

Camden Courier-Post
February 14, 1938

834 North 2nd Street

1961
Fred Gelber Furniture & Appliances

Veterans Boxing Association Ring 6
1961 Banquet Program Ad

833 North 2nd Street

1941
William E, Johnson

Camden Courier-Post
July 22, 1941

 

  832 North 2nd Street

1906

  831 North 2nd Street

1906

  830 North 2nd Street

1906

828 North 2nd Street

1887-1890 Virgil Willett

828 North 2nd Street

1917-1926
Thomas Reed & Family
sergeant, Camden Police Department
Thomas & Fannie Reed
Gladys Bryen
Edith Bryen
Walter Bryen
Helen Y. Bryen
John H. & Martha Reed

  826 North 2nd Street

1906

  824 North 2nd Street

1906

822 North 2nd Street

1891
Jacob Stratton
justice of the peace

Philadelphia Inquirer
May 17, 1891

  821 North 2nd Street

1906

  820 North 2nd Street
A&P Grocery Store
  819 North 2nd Street
1910s-1930s
   

Intersection of North 2nd Street & Grant Street
   

800 Block of North 2nd Street
  817 North 2nd Street
1906
 

815 North 2nd Street

1920s-1930s
Elwood Eskridge Family
Elwood & Anna Eskridge
james "jimmy" Eskridge
813 North 2nd Street

1906
1964 William J. Horay

Camden Courier-Post
November 23, 1964

Click on Image to Read
the
Complete News Article

Joseph Hainsworth - Clemente Quieroz
Estel Brown - Gladys Woodards
State Street

  811 North 2nd Street
1906

Intersection of North 2nd Street & State Street
   

700 Block of North 2nd Street
  711 North 2nd Street
1910s-1930s

Intersection of North 2nd Street & Larch Street
   

700 Block of North 2nd Street
  707 North 2nd Street
A&P Grocery Store
  706 North 2nd Street
1910s-1930s
  705 North 2nd Street

1910s-1920s
Thomas Murphy & Family
Camden Police Department
Thomas & Anna Murphy
Thomas J. Murphy
William Murphy
John Murphy

705 North 2nd Street

1910s-1920s
Thomas J. Murphy

 

703 North 2nd Street

1914
  702 North 2nd Street
1947
701 North 2nd Street

1949
Charles H. Folkman

Camden Courier-Post
November 17, 1949

James Murphy

  1

700 Block of North 2nd Street
  700 North 2nd Street
703 North 2nd Street

1910s-1931
Manuel Kane

702 North 2nd Street

1919-1920
Ephraim T. Hires & Family
Ephraim & Ida Calhoun Hires
Mrs. Rebecca Calhoun (mother-in-law)


Intersection of North 2nd Street, Main Street & Vine Street
Aerial Photo
from
1925

1940s- Intersection of north 2nd street, vine street, and Main

Where a playground now stands at the "point" created by the intersection of Vine & Main Streets, james f. walton traded as "walton the plumber" at 201 Main Street prior to his death in 1927. He was eventually succeeded by Taggart & Green, plumbers. At 208 vine, the next building, with doors and signs on both sides, was the Chin Bock Suey Chinese laundry. The photo dates from the early 1940s, when Taggart & Green's office served as Civil Defense station for Air Raid Wardens in the area. View is from North 2nd Street, Vine Street is to the left, Main Street is to the right.

Click on Image to Enlarge


600 Block of North 2nd Street
  623 North 2nd Street

1947

622 North 2nd Street

1880
William Burrough & Family
William & Sarah "Sllie" Burrough
Joseph Burrough
Clara S. Burrough

Left: Clara S. Burrough

  622 North 2nd Street

1947

  621 North 2nd Street

1880s
Dr. E.L.B. Godfrey

621 North 2nd Street

1890
Samuel Peoples

619 North 2nd Street

1924-1927
Samuel E. Harring

  618 North 2nd Street

1947

  617 North 2nd Street

1947
1969 J. Scrivani

617 North 2nd Street

Building at far right
is
617 North 2nd Street

Photo April 2, 2004

Click on Image to enlarge


Intersection of North 2nd Street & Danenhower Street
April 2, 2004


600 Block of North 2nd Street
  616 North 2nd Street

1906

616 North 2nd Street

1941 Mrs. Anna Hagen

Camden Courier-Post
July 4, 1941

  616 North 2nd Street

1947
2004 Gone

The wrought iron fence at far left belonged to 616 North 2nd Street. Photo from April 2, 2004.

614 North 2nd Street

1887-1942 dr. howard f. palm
2004 Gone

The wrought iron fence in center of photo and the driveway belonged to 614 North 2nd Street. Photo from April 2, 2004.

612 North 2nd Street

1947

612 North 2nd is the home on the left. Photo from April 2, 2004.

Click on Images to Enlarge

611 North 2nd Street

190s-1880s
Dr. William H. Ireland
Dr. William & Anna Belle Ireland
Anna Ireland
Mary Ireland
Loretta F. Ireland

Photo April 1, 2004

611 North 2nd Street

Photo April 1, 2004

Click on Image to enlarge

611 North 2nd Street

1932 Dorothy Martins

Camden Courier-Post
June 9, 1932

 

610 North 2nd Street

1880 B.L. Bonsall

Philadelphia Inquirer
April 9, 1880

Click on Images to Enlarge

610 North 2nd Street

1947

612 North 2nd is the home on the right. Photo from April 2, 2004.

Click on Images to Enlarge

612 to 602
North 2nd Street

Photo from April 3, 2004.

Click on Images to Enlarge

 

609 North 2nd Street

Building at left
is
609 North 2nd Street

Photo April 1, 2004

Click on Image to enlarge

609 North 2nd Street

Building at left
is
609 North 2nd Street

Photo April 1, 2004

Click on Image to enlarge

609 & 611 North 2nd Street

Building at left
is
609 North 2nd Street

Photo from 2008

Click on Image to enlarge

609 North 2nd Street

Bernard Brown

Camden Courier-Post
December 30, 1957

608 North 2nd Street

Photo April 3, 2004

Click on Image to enlarge

  607 North 2nd Street

1947

606 North 2nd Street

1947

Photo April 3, 2004

Click on Image to enlarge

605 North 2nd Street

1890s-1920s
Clara S. Burrough

Click on Image to enlarge

  605 North 2nd Street

1924 Edward Liberati
1929
1930

  605 North 2nd Street

1930s-1959
Daniel Deacon

  605 North 2nd Street

1960
1969
1980

604 North 2nd Street

1906
Harry Curtis

1900s-1920s
Mrs. Mary Peoples
Vera Peoples

Photo April 3, 2004

Click on Image to enlarge

602 North 2nd Street

1947

Photo April 3, 2004

Click on Image to enlarge

  601 North 2nd Street

1933 James Evans
1947

602 to 612
North 2nd Street

April 2nd, 1912

Photo is captioned
"2 N of Elm"


Intersection of North 2nd Street & Elm Street

April 2nd, 1912

Photo is captioned
"2 N of Elm"


500 Block of North 2nd Street
527 North 2nd Street

1947

Photo April 18, 2004

Click on Image to enlarge

527 North 2nd Street

1895-1899
Joseph Logue & Family
Joseph & Fannie Illingsworth Logue

 

527 North 2nd Street

1954
Caesar Campana Sr.

Camden Courier-Post
June 12, 1954

A Bar - Locust Street

  526 North 2nd Street

1870s-1880s

  526 North 2nd Street

1910s-1938 Thomas Homan
shoe repair

525 North 2nd Street

1890 W. Penn Corson 

Photo April 18, 2004

Click on Image to enlarge

  524 North 2nd Street

1919

523 North 2nd Street

1870s

Photo April 18, 2004

Click on Image to enlarge

  522 North 2nd Street

1919

521 North 2nd Street

1949 James Williams

Camden Courier-Post
November 20, 1949

   
519 North 2nd Street

1870s-1900s
Edward R. Shubrick Sr. & Family
Edward R. & Emily Shubrick
Elizabeth SHubrick
Edward R Shubrick Jr.

Philadelphia Inquirer
February 18, 1894

Admiral E.K. Benham

  519 North 2nd Street

1934 Albert Young

1940
John Megaw Sr. & Family
John and Edith Megaw
John Megaw Jr. (born 1941)

  518 North 2nd Street

1919

517 North 2nd Street

1910-1943
William F. Glander & Family
William F. & Olga Glander
Olga Glander

517 North 2nd Street

1910-1943
William F. Glander & Family
William F. & Olga Glander
Olga Glander

517 North 2nd Street

1910-1943
William F. Glander & Family
William F. & Olga Glander
Olga Glander

Philadelphia Inquirer
May 6, 1916

  516 North 2nd Street

1924 Ricardo Sciarra
contractor
1929
1947
1969
1980

516 North 2nd Street

Photo from 2004


Intersection of North 2nd Street & Birch Street
April 18, 2004
Looking East on Birch Street

April 18, 2004

Click on Image to Enlarge

Looking East on Birch Street

April 18, 2004

Click on Image to Enlarge

Looking East on Birch Street

April 18, 2004

Click on Image to Enlarge

Looking West on Birch Street

April 18, 2004

Click on Image to Enlarge


500 Block of North 2nd Street
  515 North 2nd Street

1919

  514 North 2nd Street

1870s-1880s

 

513 North 2nd Street

1919

  512 North 2nd Street

1919

  511 North 2nd Street

1870s

511 North 2nd Street

1917 Nicholas Parson

Philadelphia Inquirer
January 24, 1917

Mathis Shipyard
Joseph Ford - Point Street
Alexander Read - Erie Street
O. Glen Stackhouse

 

  510 North 2nd Street

1919

  509 North 2nd Street

1870s

  508 North 2nd Street

1919

  507 North 2nd Street

1870s

  506 North 2nd Street

1880s-1890s William H. Tice 

505 North 2nd Street

1899 Harry Roberts & Walter Carter
grocers

Philadelphia Inquirer
July 12, 1899

  504 North 2nd Street

1870s

  503 North 2nd Street

1870s

  502 North 2nd Street

1919

  501 North 2nd Street

1870s

  500 North 2nd Street

1870s


Intersection of North 2nd Street & Pearl Street
Southwest Corner

1865-1894 North Baptist Church
1895-1924 Calvary Presbyterian Church
1929 Calvary Tabernacle Presbyterian Church
1943 Faith Baptist Church

Looking Southeast
from
Northeast Corner
of
North 2nd Street
&
Pearl Street

Click on Image to Enlarge

Photo by Craig Campbell
February 2009


400 Block of North 2nd Street
426 North 2nd Street

1865-1894 North Baptist Church
1895-1924 Calvary Presbyterian Church
1929 Calvary Tabernacle Presbyterian Church
June 1932 No Listing
1943-1947 Faith Baptist Church
1965-2009 Victory Temple Church

426 North 2nd Street

1929-1932
Calvary Tabernacle Presbyterian Church

Camden Courier-Post
June 18, 1932

426 North 2nd Street

1943-1947 Faith Baptist Church
1965-2017 Victory Temple Church

Click on Image to Enlarge

Photo by Craig Campbell
February 2009

 

426 North 2nd Street

1965-2017 Victory Temple Church

Click on Image to Enlarge

Photo by Craig Campbell
February 2009

420-426 North 2nd Street

1965-2017 Victory Temple Church

Click on Image to Enlarge

Photo by Craig Campbell
February 2009

  423 North 2nd Street

1919-1940s John G. Opfer
1919-1960 John E. Opfer Sr.

  422 North 2nd Street
421 North 2nd Street

1910s-1960
William A. Watson & Family
William A. & Elizabeth Briggs Watson
Harry Watson - Roland Watson
Everett Watson - Edith Watson
Agnes Watson - Richard Watson

Camden Courier-Post
February 1960

  420 North 2nd Street

1890s-1900s
John Saunders & Family
John & Anna B. Saunders
Dr. Orris W. Saunders

  419 North 2nd Street
  418 North 2nd Street
417 North 2nd Street

1941
Edward J. Cummings & Family
Edward J. & Mary Muldoon Cummings
Anna Jane Cummings
Mary Cummings Diefendorfer
Harry Cummings
Thomas Cummings

Camden Courier-Post
July 5, 1941

Improved Order of Red Men

416 North 2nd Street

James O. Jones

Click on Image to Enlarge

416 North 2nd Street

Click on Image to Enlarge

Photo by Craig Campbell
February 2009

416 & 414 North 2nd Street

Click on Image to Enlarge

Photo by Craig Campbell
February 2009

  415 North 2nd Street

1890s-1900s Edward Holloway

415 North 2nd Street

1938
Charles R. Bott & Family
Charles R. & Lillie M. Bott
Charles P. Bott
Lewis R. Bott

Camden Courier-Post
February 25, 1938

 

415 North 2nd Street

1938
Charles R. Bott & Family
Charles R. & Lillie M. Bott
Charles P. Bott
Lewis R. Bott

Camden Courier-Post
February 25, 1938

414 North 2nd Street

Click on Image to Enlarge

Photo by Craig Campbell
February 2009

414 North 2nd Street

1899
Rev. A.W. Spooner & Family
Rev. A.W. & Hattie Melissa Spooner

Philadelphia Inquirer
March 19, 1899

Calvary Presbyterian Church


413 North 2nd Street

1930s-1938 Henry S. Campbell

Camden Courier-Post
January 21, 1938

  412 North 2nd Street

1898
John G. Heileman

  411 North 2nd Street
  410 North 2nd Street

409 North 2nd Street

1967
Isaac Berrios & Family
Isaac Berrios

Camden Courier-Post
November 9, 1967

 

  409 North 2nd Street
  408 North 2nd Street
  407 North 2nd Street
  406 North 2nd Street
  405 North 2nd Street
404 North 2nd Street

1890 Francis D. Weaver

404 North 2nd Street

Click on Image to Enlarge

Photo by Craig Campbell
February 2009

404 North 2nd Street

Click on Image to Enlarge

Photo by Craig Campbell
February 2009

  403 North 2nd Street
402 North 2nd Street

Click on Image to Enlarge

Photo by Craig Campbell
February 2009

  401 North 2nd Street

Intersection of North 2nd Street & Linden Street
Postcard
circa
1900
Looking South
from
Linden Street

February 4, 2004

Click on Image to Enlarge


300 Block of North 2nd Street
  332 North 2nd Street

1933 James Greer
1947

332 North 2nd Street

1950 Bertha M. Selah

Camden Courier-Post
August 12, 1950

 

330 North 2nd Street

Click on Image to Enlarge

February 2004

 

330 North 2nd Street

Click on Image to Enlarge

Photo by Craig Campbell
February 2009

328 North 2nd Street

Click on Image to Enlarge

February 2004

328 North 2nd Street

Click on Image to Enlarge

Photo by Craig Campbell
February 2009

328 North 2nd Street

Click on Image to Enlarge

Photo by Craig Campbell
February 2009

 

326 North 2nd Street

1876-1878
william joyce sewell & family

1883-1914
Colonel Daniel B. Murphy & Family

Camden Daily Courier
August 4, 1925

charles l. "mack" McKeone

326 North 2nd Street

1933 Jennie Thomas

Camden Courier-Post
September 19, 1933

  326 North 2nd Street

1933

323 North 2nd Street

1915 Cecil Slaughter

Philadelphia Inquirer
January 5, 1915

James O'Brien
Joshua C. Haines

323 North 2nd Street

Click on Image to Enlarge

February 2004

  321 North 2nd Street

1870s-1880s
Benjamin F. Boyer & Family
Benjamin F. & Alabama S. Boyer
Charles Shimer Boyer

  320 North 2nd Street

1947

319 North 2nd Street

1874-1876
Elias England & Family
builder
Elias & Martha England

Philadelphia Inquirer
May 23, 1976

  317 North 2nd Street

1931

316 North 2nd Street

Click on Image to Enlarge

Photo by Craig Campbell
February 2009

316 North 2nd Street

Click on Image to Enlarge

Photo by Craig Campbell
February 2009

  315 North 2nd Street

1931 First Ward Democratic Club

  312 North 2nd Street

1933

  311 North 2nd Street

1933

  310 North 2nd Street

1947

310 North 2nd Street

1924-1935

310 North 2nd Street

1924-1935

310 North 2nd Street

Millwood Truscott

310 North 2nd Street

1924-1935

310 North 2nd Street

1924-1935

309 North 2nd Street

1908-1910
John E. Rossell Sr. & Family
John E. & Agnes Rossell
John E. Rossell Jr.

Philadelphia Inquirer
August 28, 1908

Click on Image for Complete Article

  308 North 2nd Street

1933

308 North 2nd Street
2008-2009

For Sale - 308 North 2nd Street, Possible multi-unit/residential/professional lot in Cooper Grant Historic District. Institution/Residence Zoning. Prime location surrounded by Rutgers University & Law School Campus & Camden's Waterfront Development Area. Vacant ground, sold "As is". Fence, stone bed & landscaping included. Annually renewable commercial parking lot variance included. Possible phased in tax abatement for new home construction. $170,000

Contact CRAIG CAMPBELL
at REMAX CONNECTION Realtors

MRS. ANNA BURNS

Mrs. Anna Burns, of 307 North Second street, a resident of North Camden for 25 years, died suddenly Saturday at her home. Death was ascribed to a heart attack. She was the widow of Charles Burns, dead 45
years. A son, Joseph C. Burns, of New York, survives.
The funeral will be Wednesday from the funeral home of Joseph H. Murray & Son, 408 Cooper street, with solemn requiem mass at the Church of the Immaculate Conception, Broadway and Market street, 9.30 a. m. Burial will be in Calvary Cemetery.


BURNS—On February 12, 1938, Anna, widow of Charles Burns of 307 N. 2nd St., Camden, N. J.
Relatives and friends of the family are invited to attend the funeral Wednesday morning: at 8.30 o'clock at the funeral home of Joseph H. Murray & Son, 408 Cooper St., Camden, N. J. Solemn Requiem Mass at the Church of the Immaculate Conception at 9.30 o'clock. Interment at
Calvary Cemetery. Friends may call Tuesday evening:.

307 North 2nd Street

1938 Mrs. Anna Burns

Camden Courier-Post
February 14, 1938

307 North 2nd Street

1957-1958
Basil Cook

Camden Courier-Post
February 17, 1958

Camden Brewery

303 North 2nd Street

1967
William Marlow & Family
Marion Mae Marlow

Camden Courier-Post
November 9, 1967

  303 North 2nd Street

1917

302 North 2nd Street

1890s-1904 Captain Andrew Blair Frazee

  301 North 2nd Street

Dr. Arthur J. Casselman


Intersection of North 2nd Street & Penn Street
200 to 312 North 2nd Street
circa 1930s

Click on Image to enlarge

200 to 312 North 2nd Street
The Robeson Hotel
aka
Hotel Camden

circa 1910

Southeast Corner
North 2nd & Penn Street

"View of Hotel Camden Showing Corner of Johnson Park"

The Robeson Hotel
aka
Hotel Camden

circa 1925


200 Block of North 2nd Street
200 Block of North 2nd Street

The Cooper Mansion was purchased by the City of Camden in December of 1898, and became the city's first public par. The three-story building on the property became the first home of Camden Free Public Library. In the 1910s the old mansion was razed to make room for the Johnson Library and Johnson Park

Philadelphia Inquirer
December 1, 1898

 Click on Image to Enlarge

232 North 2nd Street

The Robeson Hotel
aka
Hotel Camden
apartments

1910 Dr. Henry H. Davis

226 North 2nd Street

1931-1940s Isaac W. Eason Sr.

  224 North 2nd Street

1890-1940

222 North 2nd Street

1947 Frank W. Garrison 

  216 North 2nd Street

1930s-1940s


Intersection of North 2nd Street & Cooper Street
Southeast Corner

February 7, 2004

Click on Image to Enlarge

Southeast Corner

February 7, 2004

Click on Image to Enlarge

Northeast Corner

February 7, 2004

Click on Image to Enlarge

Looking towards the
Northwest Corner

Cooper Park Library
circa 1916

Looking East on Cooper Street
from
North 2nd Street

circa 1905

Click on Image to Enlarge


100 Block of North 2nd Street
  122 North 2nd Street

1947

116 North 2nd Street

1993

116 North 2nd Street

1993

116 North 2nd Street

1993

116 North 2nd Street

1993

116 North 2nd Street

1993

116 North 2nd Street

1993

116 North 2nd Street

1993

116 North 2nd Street

1993

116 North 2nd Street

1993

  114 North 2nd Street

1890s-1914

112 North 2nd Street

1932 Tony Miller

Camden Courier-Post
June 10, 1932

Max Aaronson - Stevens Street
Kaighn Avenue
ralph bakley
Garfield S. Pancoast

Leonard Winner
Joseph Conners

The following appear to have been aliases:
Thomas Telto - Federal Street
Thomas Maner - North 4th Street
Thomas Wright - Penn Street
William Brown - North 3rd Street
Clinton Krane - State Street

110 North 2nd Street

1887
Captain John G. Hutchinson


110 North 2nd Street

1941
Julia Coriaty

Camden Courier-Post
July 31, 1941

Andrew Rossi
Market Street
Point Street
Penn Street
North 9th Street
RCA-Victor
Hollingshead Fire

 

 



109 North 2nd Street

1900
Rollo Jones

 

109 North 2nd Street

1845-1900s Samuel S. Elfreth

 

107 to 111 North 2nd Street

circa 1900

 

  106 North 2nd Street

1890s-1914

107 to 111 North 2nd Street

circa 1900

Click on Image to Enlarge


Intersection of North 2nd Street & Allen's Court
   

100 Block of North 2nd Street
  108 North 2nd Street

1947

107 to 111 North 2nd Street

circa 1900

 

106 North 2nd Street

1872
George Morgan

107 to 111 North 2nd Street

circa 1900

Click on Image to Enlarge

103 North 2nd Street

1887-1891 Jacob Leon
cigarmaker - constable

 

  102 North 2nd Street

1887-1888 Mrs. Annie Shannon
widow of Thomas
1887-1888 John E. Shannon

Saloon next door at 201 Market Street

 1887-1888 Thomas F. Shannon
Musician

102 North 2nd Street

1894-1895
William L. Hartman & Family
William L. & Annie Hartman
Edwin Hartman
Samuel Hartman
J. William Hartman

Philadelphia Inquirer
November 28, 1894


Intersection of North 2nd & Market Streets
Northwest Corner
1812-1922

National State Bank
1922-1928
First Camden
National Bank & Trust

Click on Image to Enlarge

Photo from 1915

Northwest Corner
1812-1922

National State Bank
1922-1928
First Camden
National Bank & Trust

Click on Image to Enlarge

Photo from 2004

Northwest Corner

1812-1922
National State Bank
1922-1928
First Camden
National Bank & Trust

Click on Image to Enlarge

Photo from 2004

Looking West
from 200 Block

Click on Image to Enlarge

Photo from 2004

Northeast Corner

1885 Sanborn Map

Showing
201, 203, 205,207 & 207 Market Street
&
102, 104, & 106 North 2nd Street

Click on Image to Enlarge

Market Street
Looking East
from North 2nd Street

1893

Click on Image to Enlarge

Click Here to Supersize Image

   

Unit Block of North 2nd Street
Click on Images to Enlarge

The proprietor is a practical shoe manufacturer, having been foreman for the largest factory in Newark,
N. J., for sixteen years. He established in
Camden about seven years ago, in a store about 20x30 feet in dimensions, with a workroom in the rear, where all the shoes offered for sale are made. 

Mr. Wailes has lived in various parts of the State for nearly half a century, and has hosts of friends in all sections of the Commonwealth. He is a prominent member of the Odd Fellows, a member of the Grand Encampment, and also of the Grand Lodge, and Captain in the Patriarchs Militant, and Aide-de-camp to the Commander of the Depart-ment of New Jersey. He was one of the founders of Columbian Lodge, No. 117, of Newark, N. J., which is the largest lodge of the Odd Fellows in this State; was also connected with the first lodge founded by the Daughters of Rebecca, over a quarter of a century ago, and still active in that branch of Odd Fellowship

64 North 2nd Street

 

1890 George Wailes
Shoes

Historical and Industrial Review
of
Camden, New Jersey

  64 North 2nd Street

1947 gone

  62 North 2nd Street

1947

57 North 2nd Street

1912
Gertrude Longley

Philadelphia Inquirer
January 5, 1912

56-60 North 2nd Street

1883-1913
Joseph Franklin
livery & stables
Joseph Franklin & Sons
Joseph Franklin Jr. - Howard Franklin
William Franklin

Camden Post-Telegram
March 12, 1890

 

56-60 North 2nd Street

1883-1913
Joseph Franklin
livery & stables
Joseph Franklin & Sons
Joseph Franklin Jr. - Howard Franklin
William Franklin

1895 Camden City Directory Ad

53 North 2nd Street

1882-1883, 1893 James Dunn

  52 North 2nd Street

1897
George Morgan
silver plater

50 North 2nd Street

1900-1920
Ferris Shoe Company
Isaac Ferris Jr.
- Jacob C. Ferris

Philadelphia Inquirer
November 27, 1910

1947 Gone

47 North 2nd Street

1905
Furman Desher

Philadelphia Inquirer
March 23, 1905

40 North 2nd Street

1877 Harvey Sharpless
1947 Gone

Camden Daily Courier
August 4, 1925

From the "Pepper Pot" column
by
Charles L. "Mack" McKeone

39 & 41
North 2nd Street

1877
Joseph Campbell
successor to Anderson & Campbell

1877 Camden City Directory Ad

  40 North 2nd Street

1877 Harvey Sharpless
1947 Gone

38 North 2nd Street

1909
James H. Carpenter

 Philadelphia Inquirer
July 23, 1909

Dr. H. Genet Taylor - Howard M. Cooper
Rev. Rudolph Brestell
H.C. Alexander - Wilbur F. Rose
Edward B. Leaming
St. Paul's Episcopal Church

30 North 2nd Street

1884-1885 James Dunn

28 North 2nd Street

1881 James Dunn

1914 William Vangeley
1947 Gone

27 North 2nd Street

1887 James Dunn

1895-1899 Joseph Maxwell

25 North 2nd Street

1892 James Dunn

  25 North 2nd Street

1900
James Buckingham & Family
James & Ida Buckingham

  21 North 2nd Street

1947

  10 North 2nd Street

1951
Ira Sands & Family
Ira & Lillian Sands

6 North 2nd Street

1915
Citizens Relief Association
of Camden

Philadelphia Inquirer
January 24, 1915

 

Intersection of North 2nd Street & Arch Street
   

Unit Block of North 2nd Street

DETECTIVE RECOVERS 300-POUND STOLEN PIPE

A pipe 25 feet long, 10 inches in diameter, weighing 300 pounds and valued at $25, stolen from in front of the blacksmith shop of Horace S. Greenwell at 7 North Second street, was recovered today less than an hour after its theft had been reported.

The pipe was recovered by Detective Edwin Mills in a junkyard at Second and Pine streets. Joseph Fugaro, an employee at the establishment, told Mills that two boys, about 16, brought the pipe last night in a pushcart and that when he refused to buy it, dumped it in the street. Fugaro said he rolled the pipe in.

7 North 2nd Street

1938 Horace S. Greenwell
1947 Gone

Camden Courier-Post
February 11, 1938

  4 North 2nd Street

1920s Gillanz Company
real estate
Rud Preisendanz Jr.
Edward Preisendanz
Lee J. Gill

1947 Gone


Intersection of 2nd Street & Federal Street
   

Unit Block of South 2nd Street
2 South 2nd Street

1886
Charles Woodward

Philadelphia Inquirer
August 19, 1886

Jesse Pratt - Josiah V. Middleton

4 South 2nd Street

1915
Thomas A. Skymer Family
Thomas A. & Mary Skymer
Louis "Lew" Skymer

Albert Skymer

thomas j. "tommy" Skymer

1947

5 & 7 South 2nd Street

1863-1865
Bowman H. Middleton
undertaker
1867-1869
Frank P. Middleton
undertaker

1870-1895
Josiah V. Middleton
undertaker

1891 Camden City Directory Ad

5 South 2nd was the residence
7 South 2nd was the coffin shop

5 South 2nd Street

1904-1905
Jarvis W. Howell
Jarvis W. & Maggie Howell

Philadelphia Inquirer
February 12, 1905

5 South 2nd Street

1955
Yellow Cab if Camden Inc.

1955 New Jersey Bell Telephone
Yellow Pages Ad

 

6 South 2nd Street

1906 Thomas Bishop

Philadelphia Inquirer
January 31, 1906

6 South 2nd Street

1913-1914
Thomas A. Skymer Family
Thomas A. & Mary Skymer
louis "lew" skiymer

Albert Skymer

thomas j. "tommy" Skymer

1947

  8 South 2nd Street

1865
Frank P. Middleton
(residence)

1947


Intersection of South 2nd Street & Taylor Avenue
   

Unit Block of South 2nd Street
9 South 2nd Street

1885
Patrick Murphy
saloon

Camden Daily Courier
March 5, 1926

Wright Cox
Kid Gleason

From Charles L. McKeone's
Peppery Pot by Mack column

 

  10 South 2nd Street

1885

  11 South 2nd Street

1885

  12 South 2nd Street

1892-1893
John Campbell

  13 South 2nd Street

1885

  14 South 2nd Street

1885

  15 South 2nd Street

1885

  16 South 2nd Street

1885

  17 South 2nd Street

1885

  18 South 2nd Street

1885

  20 South 2nd Street

1885

  24 South 2nd Street

1885


100 Block of 2nd Street
108 South 2nd Street

1906
Thomas Sanders & Family
William Sanders

Philadelphia Inquirer
August 22, 1906

1947

110 South 2nd Street

1902-1906
Adolph Dehn & Family
Adolph & Marie Dehn
Adolph Dehn Jr.

Philadelphia Inquirer
August 4, 1906

112 South 2nd Street

1870-1873
William H. "Harry" McKeen

  112 South 2nd Street

1947

  114 South 2nd Street

1947


Intersection of South 2nd Street & Mickle Street
Intersection of South 2nd & Mickle Street

Philadelphia Inquirer
February 7, 1915

Erie Street
Charles Smith


200 Block of 2nd Street
205 South 2nd Street

1955
Standard Soap Co. of Camden
soap factory

1955 New Jersey Bell Telephone
Yellow Pages Ad

  205 South 2nd Street

1959-1960s
Concord Chemical
soap factory

1970 Gone

209 South 2nd Street

1872
Joseph D. Read

1872 Camden City Directory

209 South 2nd Street

1872
Joseph D. Read

1872 Camden City Directory

209 South 2nd Street

1915
Blair Manufacturing Company

210 South 2nd Street

1930s-1959
Luigi Celani & Family
Luigi & Mary Celani

Camden Courier-Post
March 21, 1932

Emil Tisani  - Luigi Celani
Royden Street
Stevens Street

211 South 2nd Street

1926
Charles K. Cook Co. Inc
leather goods

211 South 2nd Street

1926
Charles K. Cook Co. Inc
leather goods

211 South 2nd Street

1926
Charles K. Cook Co. Inc
leather goods

212 South 2nd Street

1920
Jesus Juarez
1920 Florence Morris

215 South 2nd Street

1900-1901 George Nailen

Philadelphia Inquirer
December 31, 1900

O. Glen Stackhouse

Click on Image for PDF File
of Complete Article


Intersection of South 2nd Street & Steven Street
   

300 Block of 2nd Street
300 South 2nd Street

1899 James Flood, Saloon

Philadelphia Inquirer
August 12, 1899

John Cherry
Harry Miller
Robert Miller
John S. Smith
Charles Gilbert
benson street
Stevens Street

  300 South 2nd Street

1924 Archie Cook
bar
1947 gone

314 South 2nd Street

1883-1885
 William McKinley & Family

  316 South 2nd Street

1880-1882
 William McKinley & Family
Isaac & Sophia McKinley

316 South 2nd Street

1955
AEF Interstate Transportation Service

1955 New Jersey Bell Telephone
Yellow Pages Ad

  318 South 2nd Street

1880-1884
Isaac McKinley & Family
Isaac & Sophia McKinley

318 South 2nd Street

1915 William Davis & Addie Davis

Philadelphia Inquirer
March 21, 1915

Click on Image to Enlarge

O. Glen Stackhouse

  324 South 2nd Street

1878
Isaac McKinley & Family
Isaac & Sophia McKinley
William McKinley

324 South 2nd Street

1914
Leonard Mecca

Philadelphia Inquirer
September 10, 1914

Click on Image to Enlarge

   
  326 South 2nd Street

1900
Damon Leigh & Family

Damon & Catherine Leigh
Edward leigh
Benjamin Leigh
Charles Leigh
Harry M. Leigh
Clara Leigh

330 South 2nd Street

1928
William Gibson

Camden Courier-Post
January 19, 1928

  330 South 2nd Street

1897-1898
George B. Hughes
cigars
George B. & Blanche Hughes


Intersection of South 2nd Street & Benson Street
Looking Northwest
along South 2nd Street
from
Benson Street
1960s

400 Block of 2nd Street
400-402 South 2nd Street

1880-1894 Thomas Sheeran
saloon

October 1894-May 1895
John Berge & Mary Berge
saloon (John Berge died January 1895)

May 1895-1909 David J. Russell & Mary Russell
saloon (David J. Russell died in 1902)

1909-1917 Schilling's Saloon aka Schilling's Hotel
Andreas Schilling (died May 1917)
1917-1918 Schilling's Saloon aka Schilling's Hotel
William Schilling

1919 No Bar
1970 Gone

400 South 2nd at left
Photo from January 1940

402 South 2nd Street

402 South 2nd at right
Photo from January 1940

Click on Image to Enlarge

400-402 South 2nd Street

May 1895-1909 David J. Russell & Mary Russell
saloon (David J. Russell died in 1902)

Camden Post-Telegram
January 14, 1902

400-402 South 2nd Street

1909-1917 Schilling's Saloon aka Schilling's Hotel
Andreas Schilling (died May 1917)
1917-1918 Schilling's Saloon aka Schilling's Hotel
William Schilling

Camden Post-Telegram
May 2, 1917

 

400-402 South 2nd Street

1909-1917 Schilling's Saloon aka Schilling's Hotel
Andreas Schilling (died May 1917)
1917-1918 Schilling's Saloon aka Schilling's Hotel
William Schilling

Camden Post-Telegram
May 3, 1917

1919 No Bar
1970 Gone

 

  406 South 2nd Street

1947

  408 South 2nd Street

1947

  412 South 2nd Street

1878-1880
Henry Frost

  418 South 2nd Street

1947

  420 South 2nd Street

1917 Mrs. Merita "Minnie" Kantz
Clarence E. Kantz
Carl Kantz

  420 South 2nd Street

Sergeant Clarence E. Kantz

  420 South 2nd Street

1947

  426 South 2nd Street

1947

428 South 2nd Street

1888
William S. Davis & Family
William S. & Dollie Amanda Davis

 

  428 South 2nd Street

1900
Stephen L. Thomas & Family
Stephen L. & Martha Chadwick Thomas
George Thomas
Ada Thomas - Florence Thomas
Mrs. Martha Chadwick

1900
Clarence S. Smith
& Family
Clarence S. & Mary Thomas Smith
Harriet Florence Smith

  428 South 2nd Street

1947

430 South 2nd Street

1882-1897
John K. Van Stavern & Family
John K. & Ellen Van Stavern

Camden Post
November 13, 1897

  430 South 2nd Street

1898-1899
Bernard McGahan & Family
Bernard & Catherine McGahan

430 South 2nd Street

1904-1919
John H. Riddle & Family
saloon
 John H. & Mary S. Riddle
Harry Riddle

Private residence after 1919.

430 South 2nd Street

Camden Courier-Post
July 25, 1941

John J. Crean

  430 South 2nd Street

1947
1970 Gone

   

Intersection of South 2nd Street & Washington Street
   


West side of South 2nd Street
from Washington Street to Clinton Street
1890s-1968
Pennsylvania Railroad
(Penn-Central) Baggage Sheds

August 15, 1968

Big line in operation as adjacent Company waits for water at spectacular Fourth Alarm plus numerous Special Calls for mutual aid on 8-15-1968, 2nd & Clinton Sts. South Camden.

Fire involved Penn Central Railroad Baggage Sheds, one and two story wood frame warehouses that were four city blocks long, 200 x 2500. Tremendous radiant heat conditions seriously exposed surrounding neighborhoods. Hundreds of residents evacuated from five block area. Dozens of box cars were consumed. Incident was the second Fourth Alarm in the City within a twenty-four hour period.

West side of South 2nd Street
from Washington Street to Clinton Street
1890s-1968
Pennsylvania Railroad
(Penn-Central) Baggage Sheds

August 15, 1968

At far left: Jesse N. Flax Sr.

   

400 Block of 2nd Street
432 South 2nd Street

1910
Wright Ellis Cox

  432 South 2nd Street

1947

  434 South 2nd Street
  436 South 2nd Street

1947

 
438 South 2nd Street

1890
James McCann

  438 South 2nd Street

1947

  440 South 2nd Street

1947

  442 South 2nd Street

1947

  444 South 2nd Street

1883-1885
Edmund Shaw
& Family
Edmund & Susanna Shaw
Edmund Shaw

  444 South 2nd Street

1947

  446 South 2nd Street

1890s-1900s
Augustus F. Werner & Family
Augustus & Annie Werner
William H. Werner
Ruth Werner
Alma Werner
Erwin Werner
1947

  448 South 2nd Street

1947

  450 South 2nd Street

1947

  452 South 2nd Street

1947

456 South 2nd Street

1892-1893
William McKinley

  458 South 2nd Street

1947


Intersection of South 2nd Street & Berkley Street
   

Intersection of South 2nd Street & Senate Street
   

500 Block of South 2nd Street
519 South 2nd Street

1932 James Williams

Camden Courier-Post
June 7, 1932

  519 South 2nd Street

1947 David Greenage


Intersection of South 2nd Street & Clinton Street
   

500 Block of 2nd Street
  520 South 2nd Street

1884-1892
John W. Elliot

520 South 2nd Street

1932 Carl Low

Camden Courier-Post
June 7, 1932

Centenary-Tabernacle M.E.
Garfield S. Pancoast

William Deroncone, 38, of 520 South Second Street, Camden, was given five days in jail and fined $1. He pleaded guilty to possession of a half pint, of liquor, in his cigar store. .

520 South 2nd Street

1933 William Derencone

The police raiders who uncovered the two stills and bullet- riddled target at 533 South 2nd Street also visited the home of Charles Auletto, 5 20 South 2nd street. Auletto, charged with selling illegal liquor, denied knowledge o f the stills, but was held on $1000 bail for the grand jury by Police Judge J. Harry Switzer.

520 South 2nd Street

1934 Charles Auletto

 

520 South 2nd Street

1935-1936 Daniel Auletto's Taproom
1947 Ballance Lunch Room
Latham Ballance

  522 South 2nd Street

1906
Walter J.A. Stanton Sr. & Family
Camden Police officer 1900s-1930s
Walter & Elizabeth Stanton
Walter Stanton Jr.
actor
Thomas C. Stanton
Camden Police Officer 1928-1950s

  522 South 2nd Street

1947 Antonio Colangelo

  523 South 2nd Street

1892-1898
John W. Elliot

  524 South 2nd Street

1920s-1940
Giovanni Vendetti Family
Giovanni and Guiditta (Julia) Vendetti
Tony Vendetti

  524 South 2nd Street

1947

  525 South 2nd Street

1947

526 South 2nd Street

Private First Class
Bartholomew P. Tirro

  526 South 2nd Street

1947

527 South 2nd Street

1887-1888
Sarah A. Case
boardinghouse

Sarah Case died in Camden on February 8, 1888


Philadelphia Inquirer
June 27, 1888

Federal Street
Samuel R. Murray
George S. West

528 South 2nd Street

1878-1880
Charles M. Lane

  528 South 2nd Street

1947

529-535 South 2nd Street

1955
ART Metalcraft Plating Company

1955 New Jersey Bell Telephone
Yellow Pages Ad

Click on Image to Enlarge

  530 South 2nd Street

1947

Aided by state alcohol agents, police raiders headed by Lieutenant George Frost uncovered two 50-gallon stills and a bullet-riddled target in two apparently abandoned houses at 531 and 533 South 2nd Street. An advance “tip-off” had caused operators of the stills to flee, police said.

Two alcohol “drops”, believed operated by the proprietors of the South 2nd Street houses, were visited but found empty.

531 South 2nd Street

1929 Vacant

Camden Courier-Post
September 17, 1934

1947 Gone (See 529-535 South 2nd Street)

  532 South 2nd Street

1918-1919 Charles Jennings
bar
1947
1970 Gone

  533 South 2nd Street

1899-1903
James McCann

1947 Gone (See 529-535 South 2nd Street)

HOSPITAL CASES
WEST JERSEY

James Foster, 2, 757 Division St., laceration of head.
Ralph Williams, 28, 413 North 29th St., laceration of knee.
Lillian Smith. 17, 1093 Trent road, abrasion of eye.
Elwood Brisco, 31, 1133 South 2nd St., laceration of leg

COOPER

Dorothy Gorman, 2, 507 division st., contusion and sprain of shoulder.
Richard Clark, 17, 327 Vine street, dog bite of leg
James Kenney, 3, 718 Carman St., laceration of scalp,
Frank Caratole, 12, 210 Senate St., splinter in finger.
James Moy, 14, 641 Line St., fractured wrist abrasion of knee and hand.
Ernest Vincent, 14, 534 South 2nd St., puncture wound of knee.
Ralph Springer, 7, 509 Ferry Ave., laceration of scalp
Clement Jones, 4, 1013 Lawrence St., laceration of chin
Thomas Wright, 7, 319 Grant St., fractured shoulder.
Hilda Fitzgerald. 28, 311 North 3rd St., laceration of hand.
John Schulz, 52, 228 North 7th St., chest injuries.

534 South 2nd Street

1938 Ernest Vincent

Camden Courier-Post
February 14, 1938

535 South 2nd Street

1928 Artilo Alleva

Camden Courier-Post
February 20, 1928

birch street
South 2nd Street

Bernard Bertman
Harry Kreher
John Gillis
Artilo Alleva

1947 Gone (See 529-535 South 2nd Street)

   

Intersection of South 2nd Street & Evans Street
   

500 Block of 2nd Street
534 South 2nd Street

1878-1892
James M. Lane

  534 South 2nd Street

1947 James Gland

 

535 South 2nd Street

1947 Gone

 

536 South 2nd Street

1947 Carlos J. Waters

 

537 South 2nd Street

537-549 South 2nd Street

1926-1929
strandwitz & scott inc.
William J. Strandwitz

James J. Scott

537-549 South 2nd Street

1949 Carter Paper Company

Camden Courier-Post
November 20, 1949

 Willie Garrett
South 2nd Street

Melvin Jones
Berkley Street
Isaac Scott
Karl Friedrichs

 

 

537-549 South 2nd Street

1958
I. Alper Company
roofers

Attempted safe-cracking robbery, 11/8/1958

 

539 South 2nd Street

1869
Abraham Bradshaw Sr.

539 South 2nd Street

1869
Robert W. Colkett.

Philadelphia Inquirer
April 30, 1911

 

547 South 2nd Street

1885-1900
Abraham Bradshaw Sr.

547-551 South 2nd Street

Samuel P. Wright & Company
fine printing Inks

Click on Image to Enlarge

 

551 South 2nd Street

1913 John W. Johnson
Roofer
Slate Yard

Click on Image to Enlarge

559-601 South 2nd Street

1899
Samuel P. Wright & Company
fine printing Inks

Click on Image to Enlargei

 

559-609 South 2nd Street

1911-1955
Camden Copper Works, Inc.
bernard a. ahlberg - Dr. Wesley J. Barrett

1955 New Jersey Bell Telephone
Yellow Pages Ad


Intersection of South 2nd Street & Royden Street
   

600 Block of 2nd Street
  604 South 2nd Street

1924-1947
New Jersey Wire Stitching Machine Compan
y

606 South 2nd Street

1906
Allen Falls & Family
Allen & Lena Falls
Frank M. Falls

Left: Frank M. Falls

608 South 2nd Street

1955 N.J. Wire Stitching Machine Company

1955 New Jersey Bell Telephone
Yellow Pages Ad

2 MEN, WOMAN SEIZED IN RAID ON HOUSE

Two men and a woman were arrested by police in a raid Saturday night on an alleged disorderly house at 610 South Second street. Freddy M. West, 34, and Mattie Watson, both of that address, were held in $500 bail each. West was charged with being the proprietor, and the Watson woman held as a material witness, along with Thomas R. Bunting, 62, of 560 Highland Boulevard, Gloucester. The raid was made by Lieutenant Herbert Anderson and Detectives Walter Smith, John Trout and Harry Kyler. The defendants will be arraigned in police court this morning.

610 South 2nd Street

1933 Freddy M. West
1933 Mattie Watson

Camden Courier-Post
June 19, 1933

1947 Vacant

 

612 South 2nd Street

1947 Vacant

 

614 South 2nd Street

1947 Vacant

616 South 2nd Street

1947-1958
Joseph B. Reed & Family
Joseph B. & Ermina Reed

Camden Courier-Post
January 8, 1958

  618 South 2nd Street

1919-1920
Walter J.A. Stanton Sr. & Family
Camden Police officer 1900s-1930s
Walter & Elizabeth Stanton
Walter Stanton Jr.
actor
Thomas C. Stanton
Camden Police Officer 1928-1950s

1947 Vacant

  620 South 2nd Street

1947 Willie Brown


Intersection of south 2nd street & Beckett Street

Intersection
of
South 2nd Street
&
Beckett Street

Camden Courier-Post
February 15, 1956

Intersection
of
South 2nd Street
&
Beckett Street

1968
Gallo Wine sales of New Jersey

Camden Courier-Post
July 15, 1968

 

   

600 Block of 2nd Street
  624 South 2nd Street

1885
Edward Hillman & Family
Edward & Margaret Grant Hillman
James Hillman - Margaret Hillman
William Grant Hillman
Jesse Hillman - George Hillman

  624-626 South 2nd Street

1939-1943 Spitalere Tavern
Salvatore Spitalere

1947 Beckett Bar
Rupert. B. Phillips
1947-1949 Beckett Bar
Grace Markowitz

624-626 South 2nd Street


1954-1956
Marine Terminal Bar

Camden Courier-Post
June 12, 1954

Peter J. Fanelle
Joseph C. Fanelle
Rocco Fanelle Jr.

 

624-626 South 2nd Street


624-626 South 2nd Street


1954-1956
Marine Terminal Bar

Camden Courier-Post
November 25, 1955

Antoine Betz
Alyece Betze
Elwin Eisenhout

  624-626 South 2nd Street


1959 No Bar Listed
1967 Pal's Bar aka Twi-Lite Zone
(Melvin Brewer of 1267 Park Blvd.)

  628 South 2nd Street

1947

  630 South 2nd Street

1884
Harry Miller & Family
Harry & Mary Miller
Edwin F. Miller

  632 South 2nd Street

1947

  634 South 2nd Street

1947

  636 South 2nd Street

1947

638 South 2nd Street

1947

Camden Courier-Post
November 6, 1951

  642 South 2nd Street

1900
James H. Carey

  644 South 2nd Street

1947

  646 South 2nd Street

1947

648 South 2nd Street

1887
Barton Lane

648 South 2nd Street

1947-1953
Jeremiah Allen Family
Jeremiah & Vera Allen
Four Children

Click on Images to Enlarge

Judge Benjamin Dzick

  650 South 2nd Street

1947

  652 South 2nd Street

1947

  654 South 2nd Street

1947

  656 South 2nd Street

1947
  658 South 2nd Street

1947

  660 South 2nd Street

1947

  662 South 2nd Street

1947

  664 South 2nd Street

1947

  666 South 2nd Street

1900 John Baxter
1900 Herbert W. Baxter Sr.
1921 Jessie Smith
1947


Intersection of South 2nd Street & Line Street
   

700 Block of 2nd Street
  702 South 2nd Street

1887-1888
john w. sutton
Saloon

Philadelphia Inquirer
June 2, 1903

702 South 2nd Street

1903-1904 Jacob Kline
Saloon

Philadelphia Inquirer
June 2, 1903

  702 South 2nd Street

1918-1921 Joseph Vilardo

  702 South 2nd Street

1924-1940
Louis Cinaglia & Family
saloon
Louis & Francesca Cinaglia
Anthony Cinaglia

702 South 2nd Street

Private First Class
Anthony Cinaglia

702 South 2nd Street

1942-1945
Paradise Cafe

Frank Robinson & Joseph T. Walley
Camden Courier-Post
December 25, 1942

  702 South 2nd Street

1947-1948
Paradise Cafe

Rabon L. Mosley & Joseph T. Walley

1948-1977
New Paradise Bar
aka Paradise Cafe
1948-1950 Samuel Neimeiser
1950-1952 Lillian Pincus & Irving Bottler
1952-1977 Edward Hoff

706 South 2nd Street

1907 Andermo Clemenda

Philadelphia Inquirer
April 29, 1907

Arthur Stanley
John Reader
Antonio Froricano
South 4th Street
Joint Alley

706 South 2nd Street

1955
Rocco Fanelle's Sons
scrap metal

1955 New Jersey Bell Telephone
Yellow Pages Ad

Click on Image to Enlarge

708 South 2nd Street

1873
Richard Rourke & Family
Richard & Mary Rourke
Emily Rourke - Owen Rourke
Joseph Rourke - Mary Rourke
Annie Rourke - Nicholas Rourke

Camden New Republic
December 27, 1873

  708 South 2nd Street

1878-1882
John McKenna & Family
John & Mary McKenna
Mary McKenna
Thomas McKenna
Paul McKenna

  708 South 2nd Street

1947

  710 South 2nd Street

1929 Camden Electric Welding Co.

  717 South 2nd Street

1947

718 South 2nd Street

1932
Charles Matthews

Camden Courier-Post
June 1, 1932

John Cooper
Benjamin R. Denny
John Huston
Gus Koerner

  719 South 2nd Street

1947

  721 South 2nd Street

1947 Clarence Hawkins

723 South 2nd Street

1929-1932 J. Giordano & Brother

Camden Courier-Post
March 12, 1930 &
June 1, 1932

  723 South 2nd Street

1947
Giordano Waste Material Company


Intersection of South 2nd Street & Pine Street
Camden Courier
May 13, 1918

Carteret Street - line street
walnut street - pine street
division street - south 2nd street
mt. vernon street - Newton Avenue

herbert anderson
Mario Spuria - Peter Perin
Alexander Stortino - Luigi Capelli
Fred Corbindone - Antonio Bombiaso
Di Angelo Carlo

1930-1932 J. Giordano & Brother

Camden Courier-Post
June 9, 1932


800 Block of 2nd Street
800 South 2nd Street

1918 Hezekiah Allen

Philadelphia Inquirer
March 18, 1918

Charles H. Ellis - O. Glenn Stackhouse
CAtherine Mooney
Locust Street

Click on Image for PDF File
of Complete Article

  800 South 2nd Street

1929 William Whitefield
wood
1947 Gone

  801 South 2nd Street

1870s-1919 Gordon's Hotel &Livery
Thomas Gordon Sr.
Thomas W. Gordon
Robert W. Gordon
Mrs. Emma Compton Gordon

1920 Patrick Lacorare
bar
1921 Peter Galie
bar
1922-1924 Polack Joe Deven
bar

1928-1929 Jerome Mauro
bar
1931 Umberto DiClaudio
bar

1947 Gone

801 South 2nd Street


1928-1929
Jerome Mauro
bar

Camden Courier-Post
January 15, 1929

Jerome Mauro
Schuyler Adams
Wynn Armstrong

  801 South 2nd Street

1931 Umberto DiClaudio
bar

1947 Gone

801 South 2nd Street

1950-1973
Giordano Waste Material Company, Inc.

1955 New Jersey Bell Telephone
Yellow Pages Ad

  807 South 2nd Street

1876-1928
Thomas Gordon Sr. & Family
saloon & livery
Thomas & Maria Gordon
James Gordon
Samuel Bailey (son-in-law)
Mary Ann Gordon Bailey
Maria Bailey - Myra Bailey
Thomas W. Gordon
Robert W. Gordon
Robert W. & Emma Compton Gordon

807 South 2nd Street

1895
Thomas Gordon Sr. & Family
saloon & livery
Thomas & Maria Gordon
James Gordon
Samuel Bailey (son-in-law)
Mary Ann Gordon Bailey
Maria Bailey - Myra Bailey
Thomas W. Gordon
Robert W. Gordon
Robert W. & Emma Compton Gordon

Camden Daily-Telegram
February 26, 1895

807 South 2nd Street

Philadelphia Inquirer
December 14, 1914

  807 South 2nd Street

1917-1929
Rocco F. Abbott
bartender, Camden Fire Department

  807 South 2nd Street

1923-1927
James Lewis
Camden Police Department

  807 South 2nd Street

1924-1927 Michael Jones

1929-1931
Jerome Mauro & Family
Jerome & Marie Mauro

1940
Philip Attardi & Family
Philip & Rose Attardi
William Attardi

1947 Mrs. Rosa Canna

807 South 2nd Street

1949-1950
Leonard Dreher & Family
Leonard & Jaine Dreher
William Dreher - Frances Dreher

1949-1950
Mrs. Gertrude Goodman & Family
Leonard Goodman

Building Destroyed by Fire
February 23, 1950

Camden Courier-Post
February 24, 1950

Click on Image to Read
the
Complete News Article

Harry J. Wagner

  810 South 2nd Street

1929 Mrs. Mattie Taylor
1947 Gone

  811 South 2nd Street

1947 Ezra Moon

  811-1/2 South 2nd Street

1929 John Armstrong
1947 Gone

  812 South 2nd Street

1929 Mrs. Pearl Hill
grocery
1929 William Schuck
1929 (rear)John McKinon
1947 Gone

  813 South 2nd Street

1887 William T. Bogia
1929 No Listing
1947 Harry Wolford

  814 South 2nd Street

1929
1947 Gone

THIEF BITES OFF END OF CAPTOR'S FINGER

Seized by the owner of a bicycle which he allegedly was trying to steal, Thomas Fletcher, 25, of 814 South Second street, bit off the end of Herman Lundy's right forefinger last night at Broadway and Liberty streets in his efforts to escape.

Lundy, 19, of 530 Kaighn avenue, clung to Fletcher, however, until Police Sergeant Nathan Pettit and Patrolman Marshall Thompson arrived and arrested the man. He was charged with mayhem and attempted larceny.

The police rushed Fletcher to detective headquarters as an angry throng of more than 50 men assembled and began muttering ominously against the prisoner.

Lundy told police he saw Fletcher attempt to take his bicycle, parked near the butcher shop where he worked, and that someone called police while he grappled with the man.

814 South 2nd Street

1938 Thomas Fletcher
1947 Gone

Camden Courier-Post
February 11, 1938

 

BIKE THIEF SENTENCED ON CHARGE OF MAYHEM

Charged with mayhem and larceny, Thomas Fletcher, 25, of 814 South Second street, was sentenced yesterday to six months in jail on the latter charge by Police Judge Mariano and held in $5000 bail for the Grand Jury on the other charge.

Appearing against Fletcher was Herman Lundy, 19, of 530 Kaighn avenue, his left hand in a sling.

Lundy charged that Fletcher bit off the end of his left forefinger when he grappled with the man to prevent theft of his bicycle.

Sergeant Nathan Pettit and Patrolman Marshall Thompson, who arrested Fletcher, told Judge Mariano that 200 persons were assembled around the man and threatening him when they arrived at the scene.

Fletcher told the court he was drunk. The policemen said he was not. They told Judge Mariano that Fletcher recently was released from Ancora, where he had served six months on a larceny charge..

814 South 2nd Street

1938 Thomas Fletcher
1947 Gone

Camden Courier-Post
February 12, 1938

 

  815 South 2nd Street

1929 Vacant
1947 Charles Roberts

816 South 2nd Street

1880 William H. Green
1913 Henry Clark
1929 Vacant
1947 Gone

Camden Post-Telegram
May 31, 1913

O. Glen Stackhouse

  817 South 2nd Street

1929 Philip Hill
1947 William H. Byron

  819 South 2nd Street

1929
Morris Forman
grocery

1940 Cecil Graves
1940 Herman Foster

  820 South 2nd Street

1929 Mrs. Mary Monday
grocery
1947 Gone

  821 South 2nd Street

1929 No Listing
1947 Crystal Wet Wash Laundry, Inc.

  822 South 2nd Street

1929
1947
824 South 2nd Street

1870s-1884
John Painter

 

826 South 2nd Street

1915 Charles W. Austermuhl Co.
1915 Catherine Celle Pologruto

Philadelphia Inquirer
June 18, 1915

1929
1947

  826 South 2nd Street

1929
1947
  828 South 2nd Street

1919
Thomas Reed & Family
Thomas & Fannie Reed9

1929
1947

828 South 2nd Street

Camden Courier-Post
April 27, 1956

  830 South 2nd Street

1929-1930s Samuel Barton
1929-1930s John Barton
THREE MEN ARRESTED FOR STREET HOLDUP

Three persons were under arrest last night after an Ardmore man was "relieved" of a watch and $25 early yesterday while walking in the neighborhood of Second and Pine streets. 

The watch was returned to the victim, William Hemminger, of Ardmore, last night after police had arrested John Cheek, 27, of 735 Kaighn Avenue; John Barton, 25, of 830 South Second street, and Viola Lewis, 39, of 315 Division Street.

830 South 2nd Street

1933 John Barton

Camden Courier-Post
June 12, 1933

MAN JAILED 6 MONTHS FOR THEFT OF WATCH

Found guilty of stealing $25 and a wrist watch from a man who came to Camden for liquid refreshments John Cheek, 27, colored, of 735 Kaighn Avenue, was sentenced to six months in jail by Judge Garfield Pancoast in Camden Police Court yesterday.

His accuser, William Henninger, of Ardmore, Pennsylvania, was roundly scored by Judge Pancoast for coming here to drink beer, and was warned to stay away from Camden. Henninger said Cheek attacked and robbed him near Second and Pine Streets. John Barton, 25, of 830 south second street, and Viola Lewis, 39, of 315 Division Street, both colored, who were arrested on suspicion, were exonerated and freed. Detective Benjamin Simon said the stolen wrist watch and $3.75 were found on Cheek.

The watch was returned to the victim, William Hemminger, of Ardmore, last night after police had arrested John Cheek, 27, of 735 Kaighn Avenue; John Barton, 25, ,of 830 South Second street, and Viola Lewis, 39, of 315 Division Street.

830 South 2nd Street

1933 John Barton

Camden Courier-Post
June 13, 1933

  830 South 2nd Street

1947 Calvin Hamilton
  832 South 2nd Street

1929 Vacant
1947

  834 South 2nd Street

1929 Lee Harvey
1947 Earl Atkinson

835 South 2nd Street

1876-1979
Volney G. Bennett Lumber Company

1955 New Jersey Bell Telephone
Yellow Pages Ad

1876-1979
Volney G. Bennett Lumber Company

The business as it appeared
from 1876 through 1924.
Until 1912 deliveries were made by horse and wagon. When a customer, a local truck manufacturer, was unable to pay his bill the company took a truck in exchange for the lumber.

 

1876-1979
Volney G. Bennett Lumber Company

The business as it appeared
from 1824 through 1962.
The office, left, was the first "Cinder Block" office building in the world. The Stable, right, at one time housed twenty teams of horses and two "Walking Mules".

1876-1879
Volney G. Bennett Lumber Company

The business and property as it appeared from 1962 to 1980. After being acquired through eminent domain by the Camden Housing Authority, the Volney G. Bennett Lumber Company moved to Barrington, NJ. In 1980, a four-alarm fire swept through the yard, destroying all but one of the lumber sheds, the sales office and the stable.

  835 South 2nd Street

 In 1991, the former volney g. bennett lumber company property was sold again and the former stable and office was converted into a restaurant

1990's Page's
2000s Twenty Horse Tavern


Intersection of South 2nd Street & Division Street
Northwest Corner

1929 Crystal Wet Wash Laundry, Inc.
1947 Lucas-Crystal Laundry, Inc.
1955 Crystal Wet Wash Laundry

1955 New Jersey Bell Telephone
Yellow Pages Ad

Click on Image to Enlarge1


800 Block of 2nd Street
  836 South 2nd Street

1947 Robert A. Millard

838 South 2nd Street

1914 Mrs. Carola Cain

Philadelphia Inquirer
December 12, 1914

Fiore Troncone - Giovannia Ranazzo

Click on Image for PDF File

  840 South 2nd Street

1947

  842 South 2nd Street

1929 vacant
1947

  844 South 2nd Street

1947

  846 South 2nd Street

1947

  848 South 2nd Street

1947
  850 South 2nd Street

1947

  851 South 2nd Street

1947
854 South 2nd Street

1949 Charles Brown

Camden Courier-Post
December 17, 1949

Royden Street
Antonio Rizzo

854 South 2nd Street

1967 Walter Best

Camden Courier-Post
June 13, 1967

  856 South 2nd Street

1929 Nathan D. Segal
grocery
1947 Segal's Grocery
Ann Segal


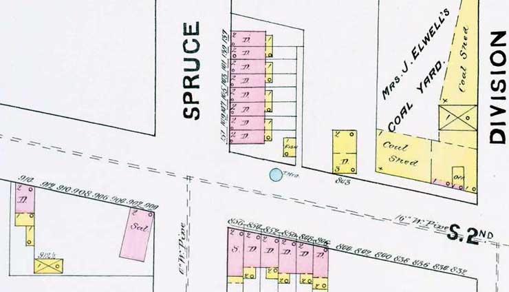
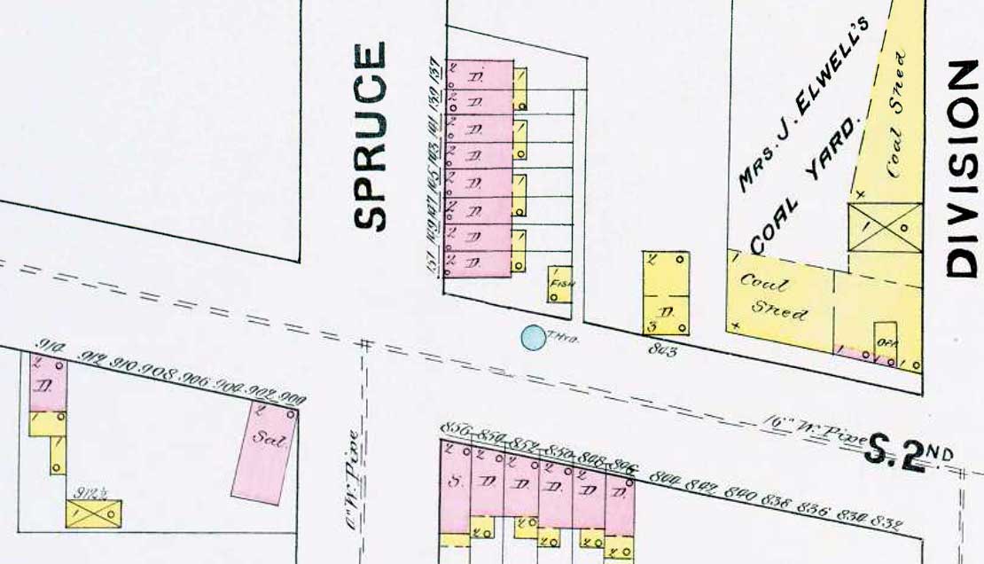
Intersection of South 2nd Streetspruce street
Click on Image to Enlarge
   
Intersection of South 2nd Street Sanborn Map - 1891
Looking East
Towards the Intersection
of
South 2nd Street
&
Spruce Street

October 2, 2005

Click on Image to Enlarge

Looking East on
Spruce Street

from
South 2nd Street

October 2, 2005

Click on Image to Enlarge


900 Block of 2nd Street
900 South 2nd Street

1889
West End Hotel
Thomas Dooley

Philadelphia Inquirer
July 2, 1889

William Harvey
Henry Bunting - John Simpson

900 South 2nd Street

1892 John J. Archer 
bar

Philadelphia Inquirer
August 20, 1892

  900 South 2nd Street

1902-September 1903
Antonio Mecca
bar

September 1903 Porrace Teti
bar
1914-1918 Cipriano Moles
(South Jersey Bottling Company)
1929 Manzy Taylor
no business
19
47 Gone

  901 South 2nd Street

1929 Volney Bennett Lumber Co.
19
47 Gone 

   

Intersection of South 2nd Street & Cherry Street
   

Intersection of South 2nd Street & Walnut Street
   

1000 Block of 2nd Street
  1001 South 2nd Street

1947

  1002 South 2nd Street

Herbert M. Carr

  1003 South 2nd Street

1929-1930
Benjamin Hunt & Family
Benjamin & Ella Hunt
Jesthroe Hunt

  1003 South 2nd Street

1947 

  1004 South 2nd Street

1947

  1005 South 2nd Street

1947

 

1006 South 2nd Street

1929 Camden Bronze & Brass Casting Co.

1006 South 2nd Street

1947 Viggiano Brothers Junk Shop

1955 New Jersey Bell Telephone
Yellow Pages Ad

  1007 South 2nd Street

1947 

 

1009 South 2nd Street

1947

  1010 South 2nd Street

1947 

 

1011 South 2nd Street

1947

  1012 South 2nd Street

1890
benjamin cavanaugh
1890

Joseph Cavanaugh

1012 South 2nd Street

1911 Frank Batey

Philadelphia Inquirer
July 19, 1911

  1013 South 2nd Street

1947 

 

1014 South 2nd Street

1947

1015 South 2nd Street

1906
William T. Steinmetz & Family
William & Rosalie Steinmetz

Philadelphia Inquirer
February 26, 1906

1015 South 2nd Street

1906
William T. Steinmetz & Family
William & Rosalie Steinmetz

William T. Steimetz worked as the Building Inspector of the City of Camden. Despondent over the death of his wife, he took his own life on December 29, 1906.

  1015 South 2nd Street

1947 

 

1016 South 2nd Street

1947

  1017 South 2nd Street

1947

1018 South 2nd Street

1912-1914
Francis J. Bunker & Family
Francis & Elizabeth Bunker
James Bunker
Francis Bunker Jr.
Elizabeth Bunker
William Bumer
Myrtle Bunker

Philadelphia Inquirer
February 5, 1913

S.C. Childs - O. Glen Stackhouse
John Painter - Charles Young
John Cross - John Thompson
George R. Pelouze

1018 South 2nd Street

1912-1914
Francis J. Bunker & Family
Francis & Elizabeth Bunker
James Bunker
Francis Bunker Jr.
Elizabeth Bunker
William Bumer
Myrtle Bunker

Philadelphia Inquirer
December 14, 1914

Click on Image for PDF File

  1018 South 2nd Street

1947 Lloyd Lofland

  1019 South 2nd Street

1929-1947 Lloyd Lofland
wood

 

1020 South 2nd Street

1947 Mrs. Iola Schley

1021 South 2nd Street

1890-1893
William J. Mines

  1021 South 2nd Street

1947 Mrs. Nettie Gaines

1022 South 2nd Street

1907-1908
Darlington Condiff & Family
Darlington & Margaret Harvey Condiff

Philadelphia Inquirer
March 22, 1907

William Harvey

 

1022 South 2nd Street

1929 Alfred Walker
1947 George M. Queensbury
elecrtrical contractor

1023 South 2nd Street

1910
David Koplan & Family
Mr. & Mrs. David Koplan
Rose Koplan

Philadelphia Inquirer
February 7, 1910

Rabbi Jacob Rudderman
Congregation Sons of Israel

 

1023 South 2nd Street

1929 vacant
1947 Matthew Shaw

1024 South 2nd Street

1890
William H. Hawkins & Family
William & Adelaide Hawkins
J. Miller Hawkins

 

1024 South 2nd Street

1929 vacant
1947 Clarence Green

 

 

1025 South 2nd Street

1886
Frank H. Ruth & Family
Frank H. & Mary McManus Ruth
Frank H. Ruth Jr.

Frank H. Ruth and his wife, Mary McManus Ruth, celebrated the birth of their first son, Frank, Jr., on September 30, 1886. Baby delivered by Dr. James G. Stanton, office located at 821 South 5th Street, Camden.

Tracy Hoffman
November 3, 2011

  1025 South 2nd Street

1929 Robert L. Mark
grocery

At 1025 South 2nd Street, Police Lieutenant Walter Welch and his men found four colored men and women, and Meg Mack, 38, colored, who was charged with being proprietor. The four gave their names as Alvin Mack, of the South 2nd Street address; Howard Elinor, 30, of 215 Chestnut Street; and Alice Wells and Emily Robinson, 28, of the same address. All were held for hearing today.

1025 South 2nd Street

1934 Meg Mack
speakeasy
1934 Alvin Mack

Camden Couroer-Post
September 17, 1934

  1025 South 2nd Street

1947 Bennett & Sons
second hand furniture
Otis Bennett

1026 South 2nd Street

1914-1926
James T. Dailey
Mrs. Florice Rang
Algerrenia Rang

  1026 South 2nd Street

1929 Mrs. Rose Bytheway
1929 William H. Foster
barber
1947 Gone

COPS BEAT OUT FLAMES IN WOMAN'S CLOTHING

A South Camden woman was burned seriously yesterday when her clothing caught tire while she was working in the kitchen of her home.

Mrs. Ihlelgn Brown, 35, of 1026 South Second street, is in serious condition in Cooper Hospital. She was taken to the hospital after two policemen, Sergeant Nathan Petit and Marshall Thompson, smothered the flames with blankets.

After her clothing caught fire, Mrs. Brown ran to the second floor of her home, where her husband, Abraham, was sleeping. He shouted to a neighbor who called police.

1026 South 2nd Street

1936
Abraham Brown & Family
Abraham & Ihleglgn Brown

Camden Courier-Post
February 20, 1936

  1026 South 2nd Street

1947 Gone


Intersection of South 2nd Street & Mount Vernon Street
   

1000 Block of 2nd Street
  1050 South 2nd Street

1918-1919 Samuel Bogen
bar
1924-1929 Samuel Hurwitz
bar
1947 Foos & Young
grocery

  1051 South 2nd Street

1929 David Rosenberg
grocery
1947 William Daniels
1947 George Walker

1051 South 2nd Street

Ralph Roberts
Pearl Alston

Camden Courier-Post
February 18, 1953

Thomas Murphy

 

1051 South 2nd Street

Camden Courier-Post
March 3, 1953

Benjamin Dzick
Ralph Roberts
William E. Kelly
Pearl Alston
South 2nd Street

 

1051 South 2nd Street

Camden Courier-Post
February 12, 1955

 Ralph Roberts
  Pearl Alston

 

 

 

1052 South 2nd Street

1929 Walter B. Matthews
1947 Gone

  1053 South 2nd Street

1947 Joseph B. Wright

  1054 South 2nd Street

1923-1928, 1931
Arthur J. Smith & Family
grocery & varieties
Arthur J. & Mary Lutz Smith
Elaine Smith - Leonard Smith

  1054 South 2nd Street

1929 Mrs. Lena Parks
confectionary
1947 Brown's Confectionary
Cary Brown

1055 South 2nd Street

1941 Ellsworth Fussell
1947 Nathan R. Fussell

Camden Courier-Post
July 26, 1941

 

   
  1056 South 2nd Street

1947 Oscar F. Moore

1057 South 2nd Street

1942 Richard Alston Family
Richard & Dolly Alston
Eugene F. Alston

Left: Eugene F. Alston

  1057 South 2nd Street

1947 Laura Austin

  1058 South 2nd Street

1947 Moses Stiles

  1059 South 2nd Street

1947 Walter B. Petty

  1060 South 2nd Street

1947 Austin A. Moore

  1061 South 2nd Street

1947 Augustus Thomas

  1062 South 2nd Street

1947 Robet Bowens

  1063 South 2nd Street

1947 Henry J. Fussell

1064 South 2nd Street

1899 Isaac Madara

Philadelphia Inquirer
September 1, 1899

"Bring your knitting or sewing and hear the candidates."

That invitation was issued yesterday by Mrs. Flora Hyatt, Republican county committeewoman, to Fifth Ward women to attend cottage meetings tomorrow. The meetings are scheduled at 2.30 p. m. at 1064 South Second street, Mrs. W. Lorwtt, hostess; 1212 Hyde Park, Mrs. Hyatt, hostess, and First Italian Republican League, 813 South Fourth street, Mrs. Louis Hunt and Mrs. Antonio Mecca, hostesses.

1064 South 2nd Street

1935-1947 Mrs. Willie M. Lorett

Camden Courier-Post
October 29, 1935

  1065 South 2nd Street

1947 Samuel Lang

  1066 South 2nd Street

1947 Mrs. Luella L. Smith

1067 South 2nd Street

1910
John f. Peters & Family
John & Charlesetta Peters

Philadelphia Inquirer
June 23, 1910

  1067 South 2nd Street

1947 Mrs. Velma L. Stovall

  1068 South 2nd Street

1947 James Browe

  1069 South 2nd Street

1947 Mrs. Ethel Butler

  1070 South 2nd Street

1947 Lemuel Putnam

  1071 South 2nd Street

1929 vacant
1947 Henry's Cleaners & Dyers
Henry Moore

  1072 South 2nd Street

1929 vacant
1947 Raymond Moore

  1073 South 2nd Street

1929 Samuel Drago
grocery
1947 Priscilla Beauty Salon
Joseph Moore

  1074 South 2nd Street

1907
Charles Ford & Effie May Wagner
common-law wife
Casper Wagner aka Casper Ford
Henry Ford

1929 William Drummond
1947 Isadore Feldman

1075 South 2nd Street

1890-1891
Thomas Barnes
John Barnes
Francis Barnes Jr.

Philadelphia Inquirer
August 25, 1890

William Harvey
Jesse Pratt

1075 South 2nd Street

1905-1910 George Schu
1910 John Hagenbusher
1918-1919 Henry Frank
1924-1947 Eva's Cafe
Henry Dellerson, proprietor
1956 Henry's Cafe
1059 Dor-Sha Tavern

Philadelphia Inquirer
August 30, 1905

1075 South 2nd Street

1910
John Hagenbusher
 saloon

Camden Post-Telegram
October 1, 1910

George W. Fry - John P. "Jack" Scannell
North 3rd Street - York Street
Harry Bailey - Charles Fuchs
Sylvan Street - Federal Street
John Thompson - George Schu
South 2nd Street - John Hagenbusher

 

1076 South 2nd Street

1906
Morris A. Makarowski
grocery

Philadelphia Inquirer
April 1, 1906

Arthur Stanley
O. Glen Stackhouse
Joseph Greenburg
Cresson Street
Chestnut Street

  1076 South 2nd Street

1929-1947 Isadore Feldman
grocery

1097 South 2nd Street

1894
The Whildin Family

Philadelphia Inquirer
February 20, 1894

   

Intersection of South 2nd Street & Chestnut Street
  Southwest Corner

1929 Camden Metal Inc.
junk

South 2nd Street from Chestnut Street to Mechanic Street - Circa 1930
Click on Image to Enlarge - Click Here To Supersize
   

1100 Block of 2nd Street
  1100 South 2nd Street

1896-1900s
William Quemore & Family
William & Emma Quemore
Edna Quemore
William James Quemore
Alice Quemore

1906 - before June 1918
Mrs. Emma Quemore
widow of William Quemore, grocery
Edna Quemore
William James Quemore
Alice Quemore

1929 Morris Greenberg
1947 Mrs. Mabel Anderson

  1102 South 2nd Street

1887-1888
William T. Irelan

  1102 South 2nd Street

1929 John Cirone
1947 Charles D. WIlliams

  1104 South 2nd Street

1929 Samuel Sands
1947 Clyde Steele

  1106 South 2nd Street

1929 Vacant
1947 Santa Brignoni

  1108 South 2nd Street

1883-1884 john a. "gus" Dold
1929-1947 Salvatore Cirone
tinsmith

  1110 South 2nd Street

1947 Mrs. Bertha Witmore

  1112 South 2nd Street

1947 vacant

  1113 South 2nd Street

1947 Frank Harden
contractor

  1115 South 2nd Street

1947 Mrs. Amy V. Preston

1117 South 2nd Street

1905 Samuel Mathis

Philadelphia Inquirer
January 10, 1905

  1117 South 2nd Street

1947 Dellam Hooper

  1118 South 2nd Street

1947 Mrs. Iola L. Tutt

  1119 South 2nd Street

1947 Charles A. Williams

  1120 South 2nd Street

1947 Alfred B. Clayton


Intersection of South 2nd Street & Sycamore Street
From 1890 to 1922 the 100 block of Sycamore Street was known as Cox Street
   

1100 Block of 2nd Street
  1121 South 2nd Street

1929 Moses Styles

1123 South 2nd Street
(1121-1123)

1929-30s Moses Styles
1933-1952 Cornelius J. Block
restaurant

Click on Image to Enlarge

Cornelis Johannes Block, sitting on the front steps of the restaurant at 1121-23 South Second Street with sons, Dennis, age 2, and Neil (Cornelis Johannes), age 5. It was a 3 story standalone duplex if you will, with the bottom floor walls removed to make the restaurant. Cornelis died in 1942. My mother Ann then ran the restaurant by herself (wit help from sons and the numbers bank) until 1952, moving to 808 Broadway, then later to 1251 Sheridan. We never used 1121-1123, it was always called 1123.)

John H. Block, May 2009

1121-1123 South 2nd Street

1933 Cornelius J. Block
restaurant
Click on Image to Enlarge

This photo was published in 1931. Looking north from Kaighn Avenue. The restaurant is on the left side with the small "ice cream sign" hanging in front. The second car is in front of the three story duplex building that contained their restaurant and where we lived upstairs. The big structure is the PSE&G natural gas storage tank that varied its height depending on the amount of gas stored inside.

John H. Block
May 2009

  1122 South 2nd Street

1929 vacant
1934 Edna Butler
1947 Harold Miles
junk

  1123 South 2nd Street

1920
Alfonzo Cioffi & Family

Alonzo & Rosalina Cioffi
Antonio Cioffi
Thomas Cioffi
Vincent Cioffi
Vincent & Caroline Cioffi
Rosolia Cioffi

  1123 South 2nd Street

1929 Kirk Hurdle
barber

1930s
combined with 1121 to make one business

  1124 South 2nd Street

1929 vacant
1947 Mrs. Hazel Johnson

  1125 South 2nd Street

1947 Mrs. Charlotte Bivens

1126 South 2nd Street

1915-1931
Hyman Beran & Family
grocery
Hyman & Lillian Barag Beran
Manuel Beran
Milton Beran
Irving Beran
Mrs. Annie Beran
Clara Beran


WWI Draft Card
Dated September 12, 1918

1126 South 2nd Street


1940-1947
Harry Isaacson & Family
grocery
Harry & Anna Simkovitz Isaacosn
Esther Isaacson
Albert Isaacson
Bernard I. Isaacson
Audrey Isaacson

Left: Bernard I. Isaacson 1943

1126 South 2nd Street

1957-1958 Mrs. Mabel Finney

Camden Courier-Post
December 30, 1957

  1127 South 2nd Street

1947 George Knox

  1128 South 2nd Street

1947 Willie Woodard

  1129 South 2nd Street

1888
William T. Irelan

  1129 South 2nd Street

1947 Mrs. Stella Fisher

1130 South 2nd Street

1929 vacant
1947 William E. Brown
1947 Isadore Birch

Camden Courier-Post
February 16, 1956

  1131 South 2nd Street

1890-1892
William T. Irelan

  1131 South 2nd Street

1888
Lewis H. Stehr Sr. & Family
Lewis & Mary Stehr
Lewis Stehr Jr.
Samuel Stehr

1929 Charles Surgis
restaurant
1947 Albert Holland
barber

  1132 South 2nd Street

1929 Lonnie Williams
1947 Gone


Intersection of South 2nd Street & Boyer Street
   

1100 Block of 2nd Street
1133 South 2nd Street

1917 James Ford

Philadelphia Inquirer
February 16, 1917

Click on Image for Complete Article

1133 South 2nd Street

1927
John Walker & Family
John & Mary Walker

Camden Courier-Post
February 7, 1927

Walter "Kentucky Rosebud" Edgerton
ivins street - Joint Alley - Baxter Street
Unity Hall - Addie Johnson - Mamie Booker
Division Street - Pine Street - South 2nd Street
Miriam Robinson - John Walker - Mary Walker
June Loftus - Ruth Smith


 

HOSPITAL CASES
WEST JERSEY

James Foster, 2, 757 Division St., laceration of head.
Ralph Williams, 28, 413 North 29th St., laceration of knee.
Lillian Smith. 17, 1093 Trent road, abrasion of eye.
Elwood Brisco, 31, 1133 South 2nd St., laceration of leg

COOPER

Dorothy Gorman, 2, 507 Division St., contusion and sprain of shoulder.
Richard Clark, 17, 327 Vine street, dog bite of leg
James Kenney, 3, 718 Carman St., laceration of scalp,
Frank Caratole, 12, 210 Senate St., splinter in finger.
James Moy, 14, 641 Line St., fractured wrist abrasion of knee and hand.
Ernest Vincent, 14, 534 South 2nd St., puncture wound of knee.
Ralph Springer, 7, 509 Ferry Ave., laceration of scalp
Clement Jones, 4, 1013 Lawrence St., laceration of chin
Thomas Wright, 7, 319 Grant St., fractured shoulder.
Hilda Fitzgerald. 28, 311 North 3rd St., laceration of hand.
John Schulz, 52, 228 North 7th St., chest injuries.

1133 South 2nd Street

1938 Elwood Brisco

Camden Courier-Post
February 14, 1938

1133 South 2nd Street

1952-1957
Mrs. Louise Kelly & Family
Mrs. Bettie Nesmith

Camden Courier-Post
December 13, 1957

  1135 South 2nd Street

1906

  1137 South 2nd Street

1900 Frank Auerbach

1137 South 2nd Street

1920 Charles W. Cooke

  1137 South 2nd Street

1929 Louis Green
1947

  1139 South 2nd Street

1929-1947 Bert Fishbine
grocery

Intersection of South 2nd Street & Stanley Street
   

1100 Block of South 2nd Street
1141 South 2nd Street

1929 James Stewart
19
41 John Grey

Camden Courier-Post
July 30, 1941

horace r. dixon
Cecelia Dixon
Clinton Street
Kaighn Avenue
John Grey
South 2nd Street
Thomas Hutchinson
Liberty Street
Camden Housing Authority

 

 

  1143 South 2nd Street

1929 Carl Berkowitz
1947

Intersection of South 2nd Street & Kaighn Avenue
Northeast Corner

1890s-1960s
The Victoria Hotel

 

Southeast Corner

1928 Thompson's Hall

Camden Courier-Post
February 24, 1928

George Weber
Robert Bradshaw
Joseph Carver
George Foster
Emil Miller

Thompson's Hall

South 2nd Street
South 3rd Street
South 9th Street
Chestnut Street
Kaighn Avenue

 

  Southeast Corner

1929 J.P. Ryan Company
hauling contractors

1955-2011

Kaplan & Zubrin Pickle Products

1955-2011

Kaplan & Zubrin Pickle Products

My father and uncle- Louis Zubrin and Herman Kaplan, brother-in-laws- started the company at 10th and Pine Street in 1940. They moved the processing to 713 Kaighn Avenue a few years later, retaining the warehouse at on Pine for barrel storage and coopering (barrel repairs). Around 1955 they built a new building at 2nd and Kaighn Avenue, adding on twice in the following years as they grew. In the 60s they built the building across the street on the northwest corner.

Lou Zubrin died suddenly in 1959 at age 54 and Mr. Kaplan bought out my mother soon after. Herman Kaplan died around 1974 and his sons Ronald and Richard have owned and operated the business ever since. They have worked very hard to build it to what it is today. My father and uncle would be very proud of them.

My brothers and I worked in the business as teenagers but pursued other careers. My eldest brother Jay R. Zubrin is a general surgeon in Newport Beach Ca. My other brother, Robert H. Zubrin is a retired musician and sells real estate in Palm Springs, CA and I am a general contractor in Washington Township, Gloucester County.

My mother was a Teitelman, my father's mother a Ruttenberg.  Our family and extended families are an important part of the history of the Jewish community in southern New Jersey. We are also related to the Bookbinders and Denbos. My grandfather was Meyer Teitelman who has in the grocery business and along with his brothers, real estate.

Steve Zubrin
February 2009


1200 Block of 2nd Street
  1200 South 2nd Street

1929 General Welding Company
1947 Weiner & Cornfeld
wholesale produce
1956-2009

Kaplan & Zubrin Pickle Products

1200 South 2nd Street

1956-2011
Kaplan & Zubrin Pickle Products

1201 South 2nd Street

1909 William Sofield

Camden Post-Telegram
September 20, 1909

Boyer's Court - Kaighn Avenue

Click on Image to Read
the
Complete News Article

 

  1201 South 2nd Street

1929 South Second Street Garage
1929 Eastern Transportation Company
1947 Gone

1210 South 2nd Street

1909 William Creamer
1929 South Second Street Garage
1929 Eastern Transportation Company
1947 Gone

Philadelphia Inquirer
January 10, 1909

Charles H. Fitzsimmons
E.E. Jefferis

  1219 South 2nd Street

1906

  1221 South 2nd Street

1910
George Cunningham Family
George & Elizabeth Cunngham
John Cunnigham
James Cunningham
William Cunningham
Elizabeth Cunningham
Martha Whilden

1929 No listing

  1221 South 2nd Street

1906

  1223 South 2nd Street

1906

  1225 South 2nd Street

1906

  1227 South 2nd Street

1906

  1229 South 2nd Street

1906

1230-1236 South 2nd Street

1961
William Bryen Company

Veterans Boxing Association Ring 6
1961 Banquet Program Ad

  1231 South 2nd Street

1906

  1232 South 2nd Street

1929 vacant
1947 Gone

1233 South 2nd Street

1894 David Peterson

Philadelphia Inquirer
February 11, 1894

  1233 South 2nd Street

1947-1964
White Wave Sandwich Shop

1986
John & Bill's

  1234 South 2nd Street

1929 John J. Dewan
1947 Gone

   

Intersection of South 2nd Street & Gant Street aka Goat Alley
   

1200 Block of 2nd Street
  1235 South 2nd Street

1906

  1236 South 2nd Street

1906
1929 Vacant
1947 Henry Smith

  1237 South 2nd Street

1906

  1238 South 2nd Street

1929 Emil Miller
1947 Oliver Ford

1242 South 2nd Street

1929-1936 New Terminal Service Station
1944-c. 1949 George A. Stone

My father, George H. Watts Sr. purchased the Gulf gas station at the corner junctions of Ferry Ave, 2nd and Mechanic Streets. He operated that station from about 1949 through the early 70’s I believe he purchased the business from the former operator George Stone. The property was sold to the owners of the small restaurant on 2nd Street next to the Moon Carrier building. I believe the restaurant was called the “White Wave”. The owner was John DeLorenzo from Glendora.

George Watts
July 2019

  1245 South 2nd Street

1890 John Simpson

1908 Andrew F. Urban
bar

1908-1919
Thomas F. Gallagher & Mary E. Gallagher

bar


Intersection of South 2nd Street & Mechanic Street
Southeast Corner
October 1938
Southeast Corner
2004

RETURN TO STREETS OF CAMDEN, NJ

RETURN TO DVRBS.COM HOME PAGE