Frederick
A.
Rex


 

FREDERICK A. REX was born in March of 1850 in Pennsylvania, one of at least seven children born to John and Sarah Rex. His father owned a large farm in Whitpain Township, Montgomery County, Pennsylvania at the time of the 1850 Census.

When the Census was taken in 1870 Frederick Rex was working as bank clerk and living ion Camden NJ. He subsequently went into the practice of law. Frederick A. Rex was not then married. The following year he helped found the Trimble Lodge No. 117, Free and Accepted Masons. He would wed M. Louise Fewsmith around 1877, a son, William, was born in December of that year. Daughter Elizabeth was born in late 1880. During the 1870s Frederick Rex also served as an officer with the Sixth Regiment, New Jersey National Guard.

Frederick A. Rex was a member of the First Presbyterian Church of Camden, where many other men prominent in the business and civic life of Camden attended, includi ng Albert W. Markley, John F. Starr, Peter L. Voorhees, Charles Stockham, Christopher A. Bergen, Randal E. Morgan L.T. Derousse, Charles Danenhower, Dr. James A. Armstrong, M.D., and Dr. J.V. Schenck, M.D.

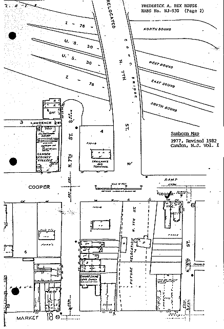
At the time of the 1 880 Census Frederick Rex and family lived at 726 Cooper Street. They moved to 533 Penn Street later in the decade, and lived there through 1890. Neighbors included F. Wayland Ayer and Richard Fetters Smith. During these years Frederick A. Rex was quite busy in both business and civic circles. Besides his law practice, he owned a coffee and Tea businesses with an office at 20 Market Street and in Philadelphia. He also served as clerk in Camden's District Court, and as treasurer of the Board of Education.

In 1895 Mrs. Louisa Rex was a charter member of the Woman’s Club of Camden.

Frederick A. Rex had moved to Merchantville by the summer of 1900, residing at 6 Clifton Avenue. The family was still there in 1910. He later took ill, and spent his last days in a South Jersey sanitarium. Frederick A. Rex died on July 17, 1916. 


Undated Newspaper Article
from
Philadelphia Newspaper

Visit by officers of the 6th Regiment,
New Jersey National Guard,
to the Philadelphia home of
Captain William C. Shinn

Lieutenant Colonel William H. Hempsing
Captain Henry C. Lees
Lieutenant
Frederick A. Rex
Lieutenant E.L. Thornton
Paymaster
Richard Coates Wilkins
&
6th Regiment Band
under the direction of
Professor Joseph Jennings


Trade Cards
from

Frederick A. Rex & Company
1880s



First
Presbyterian
Church

Illustration Published
1886

Built by
Mahlon E. Harden


Philadelphia Inquirer - August 26, 1884
Thomas Dudley - Frank Turner - William Parker - Charles Wolverton
J. Willard Morgan - Frederick A. Rex - Daniel Johntra - Richard H. Lee
George Doughten -
Charles Henry Peters
Joseph B. Green - Richard Dease - Robert Gilmore - Jesse Pratt

Philadelphia Inquirer - January 16, 1888

William J. Browning - Maurice A. Rogers - D. Cooper Carman
William J. Sewell - J. Willard Morgan - Adam Clark Smith
John Harris - W.B.E. Miller -
Frederick A. Rex
John Campbell Jr. -
Mahlon F. Ivins Sr. - Isaac Githens
E.A. Armstrong - Rev. Maurice Bronson
Col. A. Lowden Snowden -
Preston B. Plumb


Philadelphia Inquirer * March 20, 1888

Isaac Toone - James R. Corson - I.C. Beatty - Edward Gillingham - W.H. Husted
Homer Snyder - Edward A. Martin - Joseph M. Engard -
Frederick A. Rex
C.V.D. Joline - Frank Lee Dickinson -
Martin Bergen - A.J. Greene - C.S. Magrath
Adam P. Sloan - Robert McDougall - Alexander Schlessinger -
J. Wesley Sell
James Ware Jr - Water Street - Vine Street - Federal Street

Philadelphia
Inquirer
April 2, 1889

Camden Horse Car Company
Rebecca Wright
Benjamin Braker
Bartram L. Bonsall
Frederick A. Rex
Walter Kelly
James S. Henry
James M. Cassady
John Dugan
Front Street
Pearl Street


Philadelphia Inquirer * January 26, 1890

Edward E. Jefferis - Charles Lear - David Baird Sr. - Robert Smith - Harry WInters Frederick A. Rex - Edward Francis - George Hammond - Charles H. Ellis
J. Wesley Sell - Benjamin Miller - Thomas P. Kirkley
James Ware Jr. - Samuel Weaver

Philadelphia Inquirer
July 31, 1891

Frederick A. Rex - Christopher A. Bergen
Martin V. Bergen - Thomas Guthridge
Charles L. Roehr -
Cooper Hospital
Royden Street - Pine Street
Joseph Hatch - Deborah Jones
South 4th Street - South 7th Street
 
Chestnut Street

Click on Image for Complete Article

Separator made of stars

Philadelphia Inquirer - February 9, 1893

Charles G. Garrison - John Gauntt - Patrick M. Gallagher
Wilson Jenkins - Frederick A. Rex - Henry S. Scovel
Dr. Edward Schellenger Sr. - Dr. William Iszard - George Hinson
John Hill - Albert reed - Marwood Derrickson - Joseph Dodson


Philadelphia Inquirer - February 10, 1893

Charles G. Garrison - Wilson Jenkins
Frederick A. Rex
- Henry S. Scovel - John Hill
Joseph Dodson - Albert Reed - Marwood Derrickson


Harrisburg Patriot * April 14, 1893

Henry J. West - J. Wesley Sell - Joseph Porter - John Hill - Albert Reed
Frederick A. Rex - Charles G. Garrison
Joseph Dodson - Marwood Derrickson - George W. Beckett

 

Philadelphia Inquirer - April 15, 1893

John Hill - Joseph Porter - James Hunt - Dr. Joseph Tomlinson
Frederick A. Rex - John F. Renner - Dr. William H. Iszard
J. Wesley Sell - Edward E. Jefferis - Robert L. Barber
Dr. Benjamin S. Lewis - Dr. William S. Jones

Separator made of stars

Camden Daily Telegram * April 14, 1894

…continued…

…continued…

John L. Westcott - George D. Borton
Samuel Iszard - Charles H. Ellis
James Hanson Jr. - Charles Hewston
James Elberson - Charles Wilbur
Samuel Sheer - John Sinclair
Elwin Steen - Albert Shaw
Charles H. Fitzsimmons - Abraham Jackson
Alfred Sayers - Edward S. Hyde
Thomas Buchanan - Jacob Hicks

Thomas Reed - Joseph Peall - George Horner John Beard - Thomas Mullane - John Painter

Police Commission - Benjamin Braker
Joseph Potter - Joseph B. Fox
Charles Sayrs - Arthur Bedell
William C. Figner
William D. Brown - Frederick A. Rex
James R. Carson -
william j. bradley
Harry Miller - Henry Moffett

Separator made of stars

Camden Post * May 27, 1895


Harriet Smith - Frederick Rex - Henry S. Scovel - Garret D.W. Vroom

Camden Daily Telegram * May 27, 1895

Harriet Smith - Frederick Rex - Henry S. Scovel - Garret D.W. Vroom

Camden Daily Telegram * June 6, 1895

Harriet Smith - Henry S. Scovel - Dr. William S. Jones - Dr. Alexander McAllister
George Barrett - Garret D.W. Vroom


Camden Post
June 7, 1895

Howard Carrow
John W. Wescott
Harriet Smith
Henry S. Scovel
Dr. William S. Jones
Dr. Alexander McAllister
Frederick Rex
Garret D.W. Vroom

Camden Daily Telegram
June 7, 1895

John W. Wescott
Harriet Smith
Dr. William S. Jones
Dr. Alexander McAllister
Garret D.W. Vroom

 

 


Philadelphia Inquirer - November 17, 1895


Robert L. Barber - Fredrick A. Rex

The North American
January 20, 1897

Daniel Lee - George Dilmore Sr.
Edward Melson - George Emley
Charles Morgan -
Frederick Rex
George Dilmore Jr.
John A. Dall
John Painter
South 4th Street
Mt. Vernon Street
Kaighn Avenue
Walnut Street


Philadelphia Inquirer - August 20, 1897

John Leighton Wescott - Frederick A. Rex
George Fithian -
Temple Theatre

Philadelphia Inquirer - November 17, 1895


October 1, 1902 to January 14, 1903

The Paul Woodward Murder Case

l l l l l l l l l l

On October 1, 1902 Paul Woodward murdered two young boys by giving them poison. Frank T. Lloyd, then Camden County prosecutor, was responsible for leading the investigation and prosecuting the case. Woodward was arrested on October 4, 1902, and was quickly indicted on murder charges. Woodward was tried and found guilty in November of 1902. Frederick Rex was a member of Woodward's defense team, the evidence against, him however, was overwhelming. Woodward was sentenced to death, with sentence to be carried out on January 7, 1903. Frederick Rex was involved in the effort to gain a new trial and the appeal for clemency, this too proved a fruitless effort. Paul Woodward was executed on schedule at the Camden County jail, with Sheriff Christopher J. Mines Jr. supervising.

Separator made of stars

Click on Images for Enlarged Views and/or PDF Files

Separator made of stars

Links to pages and planned pages about people mentioned below:

joseph jennings - jennings' third regiment band - frank t. lloyd 
Dr. William S. Jones
- william d. hart - dr. paul n. litchfield - F. Morse Archer
john foster - john painter - john cherry - isaac toone - Paul Woodward
george m. beringer - Charles G. Garrison - J. Wesley Sell
Christopher J. Mines Jr. - frederick a. rex - J. Frederick Voigt
george f. kappel - Isaac Toy -
harry s. scovel - Francis Ford Patterson Jr.
John S. Smith
- O. Glen Stackhouse - Hugh Boyle - Charles D. Ridgley
Francis Abbatto - Eli Shaw - Lafayette Gruff - Annie Irving Keeler - David Kaighn
George Leathwhite - George J. Pechin - Elmer E. Cox - T.L. Bear
Patrick Harding - Frank S. Albright - William J. Paul - Thomas Walton
David E. Barry - Edward Wilcox - Dr. WIlliam H. Iszard - Dr. J.F. Leavitt
Dr. WIlliam H. Knowlton - Dr. William Miles - Dr. George H. Chapman

Other people involved in this case:

John Coffin - W. Price Jennings
Mrs. Edith Barber - Rev. C.A. Adams - Rev. John Lyell
Rev. William H. Fishburn - - Rev. Gilbert Underhill - Rev. John Warnock

Harry Bowen - Joseph Simpkins - Ann Somers - William May
- Lillian Martin
James Sheiding - Harry H. Robinson - Edwin Hillman - William Robinson
George Asay - William Powell - William Anderson - Charles Eiley
Thomas J. Atkinson - Wilson English - Harry Avis - George H. Stineford Sr.
John M. Hyde - William Heggan - John St. Clair - Charles S. Hess - William Rex
Daniel J. Horgan - Isaac Siebert - W. Wilmer Collins, Druggist - Major Edward Coffin
William Coffin - William Coffin Jr. -
Kingston Coffin -  - Fayetta Jennings
Charles May - Mary Eiler - William F. Smith - Lee Hubert - Maurice Daniels
Thomas Woodward - Bella Woodward - James Bland - James Morrisey

Samuel Paul - Fred George

Separator made of stars

Philadelphia Inquirer
October 3, 1902

John Coffin
William Coffin
W. Price Jennings
Joseph Jennings
Jennings' Third Regiment Band

 


Philadelphia Inquirer - October 4, 1902
 

Philadelphia Inquirer - October 5, 1902

     
…continued…
…continued…
…continued…
…continued…
…continued…
…continued…
…continued…
Frank T. Lloyd - Dr. William S. Jones - William D. Hart - Dr. Paul N. Litchfield
F. Morse Archer - John Foster - John Painter - John Cherry - Charles May
David Kaighn - George Leathwhite -
Isaac Toone - George J. Pechin
Elmer E. Cox - T.L. Bear -
Paul Woodward - Joseph Jennings
Benson Street - North 3rd Street - Kingston Coffin

Philadelphia Inquirer - October 6, 1902
…continued…
…continued…
…continued…
Trinity Baptist Church - John S. Smith - George M. Beringer

Philadelphia Inquirer - October 7, 1902

ff


…continued…
…continued…
O. Glen Stackhouse - Hugh Boyle - George F. Kappel - Isaac Toy
Charles D. Ridgley - Paul Woodward - Rev. C.A. Adams
Rev. John Lyell - Rev. William H. Fishburn - Cooper School

Philadelphia Inquirer - October 8, 1902
…continued…
…continued…
…continued…
Harry Bowen - Joseph Simpkins - Harry S. Scovel - Eli Shaw - Mrs. Edith Baker

Philadelphia Inquirer - October 9, 1902

PAUL WOODWARD
…continued…
…continued…
 

Philadelphia Inquirer - October 10, 1902
…continued…
Lafayette Gruff - Anna Somers - Royden Street

Philadelphia Inquirer - October 11, 1902

…continued…
…continued…
Annie Irving Keeler - William May - Charles May

Philadelphia Inquirer - October 12, 1902
William D. Hart - John Painter - Frank T. Lloyd - Dr. Paul N. Litchfield
George M. Beringer - Francis Abbatto - John S. Smith
Annie Irving Keeler - John Houseman Coffin
Walter Price Jennings - Miss Lillian Martin
Mrs. Edith Barber - Paul Woodward


 

Philadelphia Inquirer
October 13, 1902

James Sheiding


Philadelphia Inquirer - October 14, 1902
Edwin Hillman

Philadelphia Inquirer - October 15, 1902
Harry H. Robinson

Philadelphia Inquirer - October 16, 1902
 

Philadelphia Inquirer - October 19, 1902
George M. Beringer - Frank T. Lloyd - Paul Woodward

Philadelphia Inquirer - October 22, 1902
Charles G. Garrison - Frank T. Lloyd - Paul Woodward

Philadelphia Inquirer - October 24, 1902
Charles G. Garrison - Frank T. Lloyd - Paul Woodward

Philadelphia Inquirer - October 25, 1902
Charles G. Garrison - Frank T. Lloyd - Paul Woodward

Philadelphia Inquirer - October 31, 1902
Charles G. Garrison - J. Wesley Sell - Paul Woodward

Philadelphia Inquirer - November 1, 1902
Charles G. Garrison - Frank T. Lloyd - Paul Woodward

Philadelphia Inquirer - November 12, 1902
Charles G. Garrison - Frank T. Lloyd - Paul Woodward

 

Trenton
Evening Times

November 12, 1902


 

Philadelphia Inquirer
November 13, 1902

…continued…
…continued…
William Robinson - George Asay - William Powell - William Anderson
Charles Eiley - Thomas J. Atkinson - Wilson English - Harry Avis
George H. Stineford Sr. - John M. Hyde - William Heggan - John St. Clair
Charles S. Hess - William Rex - Linden School

Philadelphia Inquirer - November 14, 1902
 

Philadelphia Inquirer - November 15, 1902















 

…continued…
…continued…
…continued…
…continued…

Daniel J. Horgan - Isaac Siebert - W. Wilmer Collins, Druggist - Major Edward Coffin
Coffin's Corner, Ashland - William Coffin - William Coffin Jr. - Mary Eiler
William F. Smith - James Sheiding - Fayetta Jennings - Lee Hubert

Philadelphia Inquirer - November 16, 1902


 
…continued…


…continued…
…continued…
Maurice Daniels - Thomas Woodward - Bella Woodward

 

Philadelphia Inquirer
November 17, 1902

 

 


Philadelphia Inquirer - November 18, 1902


 
…continued…

…continued…
…continued…

Philadelphia Inquirer - November 19, 1902
James Bland - James Morrisey

Philadelphia Inquirer - November 21, 1902
 

Philadelphia Inquirer - November 22, 1902
 

 

 

 

 

Philadelphia Inquirer
November 23, 1902

Patrick Harding
Frank S. Albright
William J. Paul
Thomas Walton
David E. Barry
Edward Wilcox
Dr. WIlliam H. Iszard
Dr. J.F. Leavitt
Dr. WIlliam H. Knowlton
Dr. William Miles
Dr. George H. Chapman
Charles G. Garrison
Paul Woodward

 

 

 

 

Philadelphia Inquirer - November 26, 1902
 

Philadelphia Inquirer - November 29, 1902
 

Kalamazoo Gazette - November 29, 1902

Salt Lake Telegram - December 2, 1902
 

Philadelphia Inquirer - December 4, 1902
 

Philadelphia Inquirer - December 7, 1902
Rev. Gilbert Underhill - St. John's Episcopal Church

Philadelphia Inquirer - December 9, 1902
 

Philadelphia Inquirer - December 12, 1902
J. Frederick Voigt

 

Philadelphia Inquirer
December 14, 1902

 

 

Philadelphia Inquirer - December 15, 1902
 

Philadelphia Inquirer - December 17, 1902
Frederick A. Rex

 

 

 

 

Philadelphia Inquirer
December 21, 1902

 

 

 

 

 

 

Philadelphia Inquirer - December 25, 1902
 

Philadelphia Inquirer - December 26, 1902
 

Philadelphia Inquirer - December 30, 1902
 

Philadelphia Inquirer - December 31, 1902
 

Philadelphia Inquirer - January 1, 1903
 

Philadelphia Inquirer - January 3, 1903
Christopher J. Mines Jr. - Rev. John Warnock

 

 

Philadelphia Inquirer
January 5, 1903

 

 

 

 

 

 

 

 

 

Philadelphia Inquirer
January 6, 1903

 

 

 

 

 

 

Philadelphia Inquirer - January 7, 1903


 

 

Wilkes Barre Times
January 7, 1903

 

 

 

 


Philadelphia Inquirer - January 8, 1903

…continued…
Samuel Paul - Fred George

Philadelphia Inquirer - January 17, 1903
 

Separator made of stars


Camden Daily Courier
October 24, 1902

Robert F. Miller
Frederick A. Rex

Charles G. Garrison


Camden Daily Courier * January 26, 1903
…continued…
…continued…
…continued…
…continued…
Charles Wagner - Harry Miller
Frank T. Lloyd - Charles V.D. Joline
Frederick A. Rex - William F. Rex
Robert F. Miller - Albert Keaser
George V. Murry - John Morrisey
Harry Selby - William H. Selby
Dr. George D. Grimes - William Laws
John Cherry - John S. Smith
Charles Cahill - Edward Hartman
Owen McDonald - John Helm
Albert Keaser - F. Morse Archer
John Wagner - John C. Truitt
Anna Hutner - William Ridgway
Ogden
 

Philadelphia Inquirer
February 2, 1905

Catholic Lyceum
B.F. Archer -
John J. Burleigh 
William Casselman - William C. Dayton
William L. Hurley
Frank T. Lloyd Sr.
Mahlon Ivins Sr.
Frederick A. Rex
John F. Starr
Miss Mary A. Burrough
William Coffin - Richard Devlin
F.W. Marcy - Stephen Pfeil
Miss Laura Peabody - Oliver Smith
Joseph Watson - James S. Woodward
George Bergen


Camden Post-Telegram * July 20, 1916

LAWYER F.A. REX IS LAID TO REST

The funeral of Lawyer Frederick A. Rex, who died last Monday at a sanitarium in South Jersey, took place to day from the parlors of Funeral Director Martin J. O’Brien, 611 Market Street.

Members of Camden Lodge of Elks held services last night. He services today were conducted by Reverend J.W. Ohl, rector of the P.E. Church at Collingswood. The body was interred in Colestown Cemetery.

The pallbearers were Harry Blackburn, F.L. Vinton, Frederick Morse, John Schlorer, Harry Mayer, Harry Stains, James Thoirs, members of Camden Lodge of Elks. The remains rested in a polished oak casket with silver handles and name plate. The casket was adorned by many floral tributes.


Camden Courier-Post * 1936
From an article marking the 65th Annicersary of the Trimble Lodge No. 117, F. &. A.M.

the lodge was constituted on February 2, 1871. Camden Lodge, No. 15, was the "mother" lodge of Trimble. The lodge was named for Joseph Trimble, who served three terms as master of Camden Lodge and three years as grand master of the state.

The organizers of the lodge were George H. Fairfield, George F. Fort, Marmaduke E. Taylor, Dr. H. Genet Taylor, Dr. William S. Fort, Wilbur F. Rose, Nathan F. Cowan, Frederick A. Rex and J. Graham Milligan.

At the first meeting, Rev. Joseph F. Garrison, rector of St. Paul's Episcopal Church, was presented for membership. He was the father of former Secretary of War Lindley M. Garrison and the late Supreme Court Justice Charles C. Garrison.

The lodge was constituted in Morgan's Hall, Fourth and Market streets, then known as Masonic Hall. Fairfield was the first worshipful master; George F. Fort, senior warden; Marmaduke Taylor, junior warden; Dr. Taylor, treasurer; Milligan, secretary; Cowan, senior deacon; rex, junior deacon; Rose, master of ceremonies, and Charles H. Gordon, tiler.


Historic American Buildings Survey - February 29, 1984

Historic American Buildings Survey - February 29, 1984

726 Cooper Street, where Frederick A. Rex lived, is at right.
728 Cooper Street, the home of lawyer John Harned, is at left.

Above - View looking Southeast at the front and side of 726 Cooper Street
Above - View looking East at the side of 726 Cooper Street