Streets of Camden, NJ

Maple Street


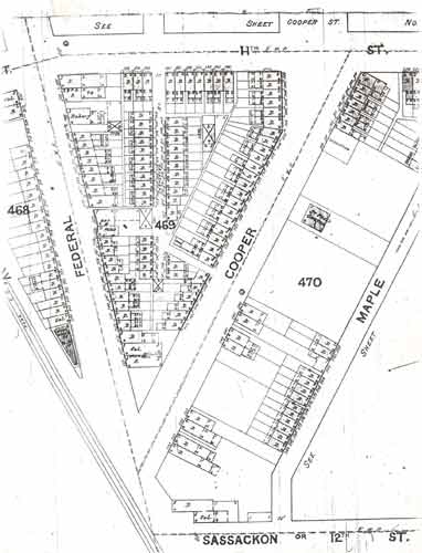
MAPLE STREET ran southeast from North 11th Street for one block, to North 12th Street (which was originally known as Sassackon Street. Maple Street ran parallel to Cooper Street, and for consistency's sake and to eliminate confusion, was renamed Lawrence Street some time between 1906 and 1912. One or two structures remain on the re-named street, which is most noted today as the street that runs behind Mount Calvary Baptist Church, whose address is 1196 Penn Street.

Do you have an Maple Street memory or picture? Comment at the bottom of the page!

 Phil Cohen
Wednesday, January 22, 2014


Maple Street
(partial)

1900s Sanborn Map

Click on Image to Enlarge


1100 Block of Maple Street

 

1109 Maple Street

1887

 

1111 Maple Street

1887

 

1112 Maple Street

1887

 

1113 Maple Street

1887

 

1114 Maple Street

1887

 

1115 Maple Street

1887

 

1116 Maple Street

1887

 

1118 Maple Street

1887

 

1119 Maple Street

1887

 

1120 Maple Street

George Lewallen
plumber
1887-1890

1120 Maple Street

William Dodel
Camden Courier - October 23, 1894

 

1121 Maple Street

1887

 

1122 Maple Street

1887

 

1123 Maple Street

1887

 

1125 Maple Street

1887

 

1127 Maple Street

1887

 

1129 Maple Street

1887

 

1130 Maple Street

1887

 

1131 Maple Street

1887

 

1132 Maple Street

1887

 

1133 Maple Street

1887

 

1134 Maple Street

1887

 

1136 Maple Street

1887

 

1138 Maple Street

1887

 

1139 Maple Street

1887

 

1140 Maple Street

1887

 

1141 Maple Street

1887

 

1143 Maple Street

1887

 

1145 Maple Street

1887

 

1160 Maple Street

1887

 

1162 Maple Street

1887

 

1164-66 Maple Street

Christopher J. Moll
butcher
1887-1890

 

1168 Maple Street

1887

 

1170 Maple Street

1887

 

1172 Maple Street

1887


Maple Street
(partial)

1900s Sanborn Map

Click on Image to Enlarge


RETURN TO STREETS OF CAMDEN, NJ

RETURN TO DVRBS.COM HOME PAGE